Виноград «Хасанский Боуса» — технический сорт, созданный для сурового климата. Его ключевые достоинства — выдающаяся морозостойкость до -30°C и высокая устойчивость к болезням. В статье подробно разберём особенности этого сильнорослого винограда, его кисло-сладкие ягоды и нюансы выращивания для стабильного урожая.
Кто и когда вывел сорт
Данный гибрид является плодом многолетней работы селекционера-любителя Дмитрия Константиновича Боуса. Его создание было продиктовано необходимостью получить технический сорт, способный стабильно плодоносить в сложных климатических условиях российского Дальнего Востока.
В качестве родительских форм были сознательно выбраны два местных, хорошо адаптированных вида. От сорта Дальневосточный Тихонова новый гибрид унаследовал комплексную устойчивость, а от Амурского обоеполого винограда – повышенную морозостойкость и надежное опыление благодаря обоеполому типу цветка. Эта комбинация заложила генетическую основу для ключевых характеристик сорта, указанных в описании.
Особенности селекции и статус сорта
Важно понимать, что Хасанский Боуса – это сорт так называемой «народной» или любительской селекции. Он не проходил государственного сортоиспытания и не внесен в Госреестр селекционных достижений РФ. Это означает, что его распространение и известность основаны прежде всего на практическом опыте садоводов в регионах с рискованным земледелием.
Сорт не предназначен для промышленных виноградников, но его ценность заключается в исключительной экологической пластичности. Он был выведен и апробирован в Приморском крае, что предопределило его дальнейшую популярность среди виноградарей Сибири, Урала и других зон, где традиционные европейские сорта не выживают.
Таким образом, происхождение этого винограда напрямую объясняет его выдающуюся зимостойкость и высокую устойчивость к болезням – это были ключевые цели селекционера, достигнутые через удачный подбор генетического материала.
Основные особенности сорта
Данный сорт представляет собой технический виноград, чьи ключевые качества ориентированы не на товарный вид, а на переработку и личное потребление. Его селекция была направлена на решение конкретных задач для сложных климатических зон, что и сформировало уникальный набор характеристик.
Адаптация к суровому климату
Фундаментальной особенностью является исключительная морозостойкость, достигающая -30°C. Эта цифра не является теоретической – сорт демонстрирует высокую сохранность плодовых почек после суровых зим в континентальном климате. Такой уровень позволяет культивировать его в неукрывной культуре в регионах, где большинство европейских сортов не выживает, например, в зонах рискованного земледелия Дальнего Востока, Урала и Сибири.
Однако важно понимать, что заявленная устойчивость реализуется в полной мере только при условии вызревания лозы. Невызревшая, «жирующая» лоза значительно теряет зимостойкость, поэтому агротехника должна быть направлена именно на своевременное окончание вегетации.
Устойчивость к болезням и последствия для ухода
Вторая выдающаяся черта – высокая устойчивость к основным грибковым заболеваниям винограда: милдью (ложной мучнистой росе) и оидиуму (мучнистой росе). Это прямо влияет на систему ухода.
В благоприятные по погодным условиям годы и при хорошей проветриваемости куста профилактических обработок фунгицидами может не потребоваться вовсе. В регионах с влажным, дождливым летом количество обработок можно сократить до минимума (1-2 за сезон), делая акцент на профилактике, а не на лечении. Это делает сорт экологичным и экономичным в выращивании.
Специфика вкуса и назначения урожая
Срок созревания – среднепоздний. Это означает, что для полного раскрытия вкусового потенциала ягодам необходимо максимальное количество солнечных дней. Вкус описывается как кисло-сладкий со слабым, но отчетливым изабельным привкусом (так называемый «лисьий» или «земляничный» оттенок).
Именно этот характерный привкус, унаследованный от амурского предка, и определяет техническое назначение. Он идеально подходит для переработки на темные соки, насыщенные виноматериалы, джемы или приготовление ароматного варенья, где терпкость и оригинальный букет являются достоинством. Для свежего потребления вкус может показаться специфическим.
Таким образом, основные особенности сорта создают четкий портрет: это неукрывной, болезнеустойчивый виноград для переработки, идеально адаптированный для холодных регионов, но требующий внимания к агротехнике, направленной на вызревание лозы и урожая.
Характеристика куста
Растение демонстрирует мощную, энергичную силу роста, что является его ключевой особенностью. Это свойство напрямую влияет на агротехнику и требует от виноградаря особого внимания к формировке и пространственному планированию.
Особенности роста и требования к пространству
Сильнорослый куст за сезон способен сформировать большое количество длинных, хорошо вызревающих побегов. Он активно наращивает не только однолетний прирост, но и объем многолетней древесины (штамб, рукава). Такая энергия развития диктует необходимость значительной площади питания.
При закладке виноградника расстояние между кустами в ряду должно составлять не менее 2.5-3 метров. При более тесной посадке растения вступят в жесткую конкуренцию за ресурсы, что приведет к затенению, снижению урожайности и усложнит уход.
Строение и морфологические признаки
Лоза отличается хорошим вызреванием, что является критически важным фактором для успешной перезимовки в условиях заявленной высокой морозостойкости. Листовая пластина среднего размера, типичной для вида формы, с умеренной рассеченностью. Куст обладает густой облиственностью, что создает благоприятный микроклимат для гроздей и обеспечивает их питание за счет активного фотосинтеза.
Учитывая эту характеристику, для данного сорта наиболее рациональны крупные формировки с большим запасом многолетней древесины, такие как высокоштамбовая или крупные веерные. Они позволяют эффективно использовать потенциал роста, обеспечивают хорошую проветриваемость и облегчают укрытие на зиму, если это необходимо в конкретном регионе.
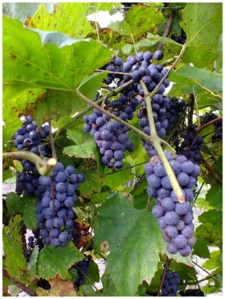
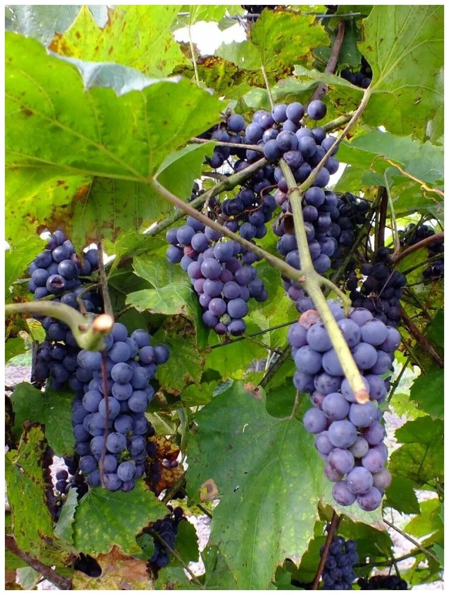
Внешний вид ягод
Ягоды этого технического сорта отличаются характерной, классической для многих гибридов на амурской основе внешностью. Их правильная округлая форма и насыщенный черный цвет с выраженным сизым восковым налетом (пруином) создают узнаваемый облик. Пруин выполняет защитную функцию, оберегая кожицу от неблагоприятных внешних воздействий.
Размер плодов небольшой, что типично для сортов ультраранней и высокой морозостойкости селекции. Вес каждой ягоды, согласно характеристикам, составляет 1-2 грамма. Несмотря на скромные размеры, ягоды обладают мясисто-сочной мякотью, что обеспечивает хороший выход сока.
Особенности грозди
Плоды собраны в некрупные, рыхлые грозди цилиндро-конической формы со средним весом около 200 граммов. Низкая плотность упаковки ягод в кисти — ключевая особенность, влияющая на агротехнику и здоровье урожая. Благодаря свободному расположению ягоды не деформируют и не давят друг друга, что существенно снижает риск возникновения и распространения очагов гнили даже в условиях влажного лета.
Такое строение грозди также улучшает её проветриваемость и доступ солнечного света ко всем плодам, способствуя более равномерному созреванию. Это важное преимущество для регионов с недостаточной инсоляцией.
Строение и роль кожицы
Кожица у ягод плотная, но при еде не воспринимается как грубая или чрезмерно толстая. Эта характеристика является прямым следствием происхождения сорта — гибриды с участием амурского винограда часто наследуют подобное строение покровных тканей. Плотная кожица служит надежным барьером против ос и других насекомых-вредителей, которые с трудом её прокалывают.
Кроме того, она эффективно защищает сочную мякоть от растрескивания в период затяжных дождей и способствует лучшей сохранности сока в ягоде, что является ценным качеством для технического сорта, предназначенного в первую очередь для переработки.
Зимостойкость сорта
Заявленная морозостойкость до -30 °C действительно является ключевой особенностью этого сорта, унаследованной от амурских предков. Эта характеристика открывает возможности для неукрывного выращивания в регионах с суровыми, но стабильно снежными зимами. Однако её реализация на практике напрямую зависит от соблюдения специфических агротехнических условий.
Нюансы реализации потенциала зимостойкости
Показатель в -30 °C относится к хорошо вызревшей, одревесневшей лозе, прошедшей естественную закалку осенью. Основной риск заключается не в стабильных морозах, а в их резких перепадах, бесснежных периодах и выпревании во время оттепелей. Корневая система, особенно у молодых кустов, менее устойчива к промерзанию почвы, чем надземная часть.
Поэтому даже в зонах, где зимние температуры не опускаются ниже критического порога, необходимо учитывать комплекс факторов. Следующая таблица детализирует рекомендации в зависимости от конкретных условий.
| Регион/Условия выращивания | Рекомендация по зимовке | Критически важное условие |
|---|---|---|
| Юг Сибири, Урал (снежные зимы) | Неукрывная культура для взрослых кустов | Обязательное снятие лоз со шпалеры и пришпиливание к земле для гарантированного укрытия естественным снежным покровом. |
| Северо-Запад, Подмосковье | Легкое укрытие или пригибание к земле | Защита от чередования оттепелей и морозов, которые вызывают повреждение камбия и опаснее стабильного холода. |
| Молодой куст (1-3 год) | Обязательное укрытие независимо от региона | Корневая система и молодые, тонкостенные лозы еще не набрали полноценной зимостойкости и требуют обязательной защиты. |
| Бесснежные зимы с ветрами (степные районы) | Обязательное воздушно-сухое укрытие | Мороз при вымороженной, сухой земле и без снежного одеяла приводит к гибели глазков и высушиванию лозы (вымерзанию). |
| Весенние возвратные заморозки | Защита дымлением или дождеванием | Проснувшиеся почки и молодые побеги уязвимы к заморозкам (даже -1…-3 °C), несмотря на высокую зимостойкость спящей лозы. |
Агротехника для гарантированной перезимовки
Главным фактором, определяющим успешную зимовку, является качественное вызревание лозы. Зеленый, неодревесневший побег с рыхлой сердцевиной гарантированно погибнет при первых морозах. Все агроприемы во второй половине лета должны быть направлены на остановку роста и накопление крахмала в тканях.
Для этого с начала августа полностью исключают азотные подкормки, переводя растение на фосфорно-калийные (например, монофосфат калия или древесную золу). Поливы значительно сокращают, а после сбора урожая прекращают вовсе, чтобы лоза прекратила вегетацию и начала закалку. Своевременная чеканка (удаление верхней растущей части побега) также способствует оттоку питательных веществ в нижнюю часть лозы и её одревеснению.
Подготовка к зиме включает не только укрытие, но и правильную осеннюю обрезку. Её проводят после листопада, когда лоза полностью вызрела. Невызревшие концы побегов обязательно удаляют, так как они являются очагом потенциального выпревания и распространения инфекции под укрытием.
Устойчивость сорта
Высокая устойчивость к грибковым болезням, заявленная в характеристиках сорта, является его ключевым преимуществом и напрямую влияет на агротехнику. Это качество унаследовано от амурских предков, которые в природе вынуждены противостоять влажному климату Дальнего Востока.
Устойчивость к основным заболеваниям
Сорт демонстрирует стабильно высокую устойчивость к милдью (ложной мучнистой росе) и оидиуму (настоящей мучнистой росе). На практике это означает, что в большинстве сезонов, особенно в регионах с сухим и теплым летом, растение может обходиться без химических обработок или с минимальным их количеством.
Однако важно понимать разницу между устойчивостью и полным иммунитетом. В эпифитотийные годы – при затяжных дождях, повышенной влажности воздуха и умеренных температурах – риск заражения возрастает. Наибольшую опасность в таких условиях представляют загущенные, плохо проветриваемые посадки, где создается идеальный микроклимат для развития грибковых спор.
Профилактическая стратегия защиты
Для поддержания здоровья кустов достаточно 1-2 профилактических опрыскиваний за сезон. Обработки проводят до или после цветения, используя щадящие средства.
- Ранневесеннее «по зеленому конусу» (в начале распускания почек) можно провести обработку 1-3% бордоской жидкостью или другим медьсодержащим препаратом. Это подавляет перезимовавшую инфекцию.
- В дальнейшем, особенно если стоит влажная погода, целесообразно применять биологические фунгициды на основе сенной палочки (Bacillus subtilis) или триходермы. Они безопасны для человека и полезной микрофлоры.
- Для профилактики оидиума эффективны препараты на основе коллоидной серы, которые также работают как акарицид против клещей.
Такая схема делает сорт исключительно удобным для садоводов, придерживающихся принципов органического земледелия.
Устойчивость к серой гнили и другим факторам
Относительная устойчивость к серой гнили (Botrytis cinerea) обусловлена не только генетическими факторами, но и морфологическими особенностями. Рыхлая, не слишком плотная структура грозди, типичная для этого сорта, обеспечивает хорошую вентиляцию ягод, препятствуя застою влаги и быстрому распространению гнили.
Эта же особенность снижает риск поражения ягод в период созревания в дождливые сезоны. Тем не менее, для дополнительной защиты от гнилей важно соблюдать агротехнические меры: своевременную подвязку и обрезку для проветривания кроны, нормирование урожая и удаление листьев в зоне гроздей в период их созревания.
Посадка в открытый грунт
Успешное выращивание этого сильнорослого сорта начинается с грамотной посадки. Его мощная корневая система и высокая энергия роста предъявляют особые требования к подготовке места и схеме размещения, которые отличаются от стандартов для менее рослых технических сортов.
Подготовка посадочного места
Ключевой особенностью является необходимость в большом объеме питательного пространства. Посадочная яма стандартных размеров 80х80х80 см здесь — не рекомендация, а обязательное условие. Такой объем необходим для развития глубокой и разветвленной корневой системы, которая обеспечит куст влагой и питанием.
На дно ямы обязательно укладывают дренажный слой толщиной 10-15 см из щебня или битого кирпича. Это особенно критично на участках с тяжелой глинистой почвой или близким залеганием грунтовых вод, чтобы предотвратить вымокание корней.
Формирование питательной среды
Плодородную заправку ямы готовят из верхнего слоя выкопанной земли, смешанного с 2-3 ведрами зрелого перегноя или компоста. Из минеральных удобрений вносят 500 г суперфосфата и 300 г сернокислого калия для стимуляции корнеобразования и будущей закладки плодовых почек.
Технология посадки и схема размещения
- На дно ямы с дренажем насыпают часть приготовленной почвосмеси, формируя холмик.
- Саженец устанавливают на холмик, аккуратно расправляя корни по его склонам. Корневую шейку располагают на уровне поверхности почвы или на 3-4 см выше, с учетом последующей усадки грунта. Заглубление точки роста недопустимо.
- Яму засыпают оставшейся смесью, слегка уплотняя почву, чтобы избежать пустот вокруг корней.
- Проводят обильный полив 2-3 ведрами воды. После впитывания влаги приствольный круг мульчируют торфом, соломой или скошенной травой слоем 5-10 см для сохранения влаги и подавления сорняков.
- Сразу устанавливают опорный колышек для подвязки побега и планируют место для будущей капитальной шпалеры.
Учитывая заявленную силу роста, минимальное расстояние между кустами в ряду должно составлять 2.5-3 метра. Междурядья оставляют шириной не менее 3 метров. Такая схема предотвратит загущение и конкуренцию между растениями за свет и питание.
Как ухаживать
Агротехника для этого технического сорта строится вокруг двух ключевых особенностей: исключительной силы роста и высокой морозостойкости. Основная задача садовода — не просто вырастить лозу, а направить её энергию на вызревание урожая и древесины, что напрямую влияет на качество вина и успешную зимовку.
Управление ростом и питанием
Сильнорослый куст требует грамотного баланса влаги и питания. Весенние поливы и подкормки азотом должны быть умеренными, чтобы избежать буйного роста в ущерб закладке плодовых почек. Основной акцент в поливе делается на два периода: сразу после цветения для улучшения завязывания ягод и в фазе их налива. Осенний влагозарядный полив после обрезки обязателен, он повышает зимостойкость всей корневой системы.
Схема подкормок также корректируется под мощный рост. После стартовой азотной подкормки весной упор смещается на калий и фосфор. Именно калийные удобрения (зола, сульфат калия) критически важны для своевременного вызревания лозы, что для среднепозднего сорта в условиях короткого лета является приоритетом. Хорошо вызревшая лоза лучше переносит морозы до -30 °C и даёт более качественный урожай в следующем сезоне.
Зеленые операции и чеканка
Своевременная подвязка растущих побегов к шпалере предотвращает загущение, улучшает проветривание и доступ света к гроздям. Для сорта с высокой устойчивостью к грибкам это служит дополнительной профилактической мерой.
Важнейшей операцией является летняя чеканка — прищипывание верхушек побегов, когда они значительно перерастут верхнюю проволоку. Для Хасанского Боуса это не рекомендация, а необходимость. Прием останавливает верхушечный рост, перенаправляя питательные вещества на вызревание древесины и накопление сахара в ягодах. Без чеканки лоза может уйти в зиму невызревшей, что резко снизит её морозоустойчивость.
Защита растений и подготовка к зиме
Высокая устойчивость к грибковым болезням не означает полный иммунитет. В условиях дождливого и прохладного лета достаточно 1-2 профилактических обработок. Первую проводят до цветения, вторую — в фазе «гороха», когда ягоды только начинают наливаться. Можно использовать щадящие биологические фунгициды, такие как «Фитоспорин».
Благодаря заявленной морозостойкости, взрослые кусты в большинстве регионов можно не укрывать. Однако в первые 2-3 года после посадки, а также в зонах с малоснежными зимами или резкими перепадами температур, рекомендуется легкое укрытие. После обрезки и влагозарядного полива лозы снимают со шпалеры, пришпиливают к земле и укрывают агротекстилем, лапником или слоем органической мульчи. Это гарантирует сохранность плодовых почек и целостность рукавов.
Обрезка куста
Для этого сильнорослого сорта ежегодная обрезка является строго обязательной процедурой. Мощный рост приводит к быстрому загущению куста, что влечет за собой целый ряд негативных последствий. В затененной кроне ухудшается проветривание, что повышает риски развития болезней даже при высокой заявленной устойчивости. Лоза не успевает полноценно одревеснеть, а ресурсы растения тратятся на поддержание зеленой массы в ущерб формированию урожая. В результате грозди и ягоды мельчают, а их вкусовые качества снижаются.
Сроки и основные принципы
Плановую формирующую обрезку проводят в период покоя растения. Осеннюю процедуру выполняют после естественного листопада и первых заморозков, когда лоза подготовилась к зиме. Весеннюю обрезку необходимо успеть провести до начала активного сокодвижения («плача» лозы), чтобы избежать ослабления куста.
Для технического сорта Хасанский Боуса характерно хорошее плодоношение по всей длине побега. Исходя из этой особенности, для него рекомендуется длинная обрезка плодовых стрелок. На каждой такой стрелке оставляют 8-12 глазков (почек). Это позволяет максимально использовать потенциал сорта и получить стабильный урожай.
Расчет нагрузки и выбор формировки
Ключевой параметр при обрезке – общая нагрузка на куст, то есть суммарное количество оставленных глазков. Для взрослого, полноценно развитого растения оптимальной считается нагрузка в 35-45 глазков. Этот показатель корректируют в зависимости от возраста куста, его силы роста и условий агротехники. Молодые растения нагружают меньше, постепенно увеличивая количество плодовых звеньев.
Выбор формировки в первую очередь диктуется необходимостью укрытия на зиму, несмотря на высокую морозостойкость сорта. В регионах с суровыми зимами предпочтение отдают бесштамбовым формам, удобным для пригибания лозы к земле.
- Веерная многорукавная формировка. Наиболее универсальный и популярный вариант. Куст состоит из нескольких рукавов (обычно 4-6), растущих из головы куста веером. На каждом рукаве формируют плодовое звено: сучок замещения (обрезается на 2-3 глазка) и плодовая стрелка (длинная обрезка). Такая структура обеспечивает простое омоложение и удобное укрытие.
- Кордонная формировка. Подразумевает наличие одного или двух постоянных плеч (рукавов), расположенных горизонтально. На этих плечах через равные интервалы располагаются плодовые звенья. Этот тип требует большего внимания при подвязке, но может быть эффективен на шпалере.
Помимо формирования плодовых звеньев, обязательным элементом обрезки является санитарная чистка. Удалению подлежат все слабые, тонкие, поврежденные и засохшие побеги, а также отплодоносившие лозы прошлого года, если они не оставлены для формирования новых рукавов. Это поддерживает здоровье и продуктивное долголетие виноградного куста.
Сроки сбора и урожайность
Как технический сорт среднепозднего срока созревания, этот виноград требует внимательного подхода к определению оптимального момента сбора. Его физиологическая зрелость наступает, когда ягоды приобретают насыщенный черный цвет, а мякоть становится мясисто-сочной.
Определение зрелости и оптимальные сроки
В условиях Приморского края, для которых сорт был районирован, массовый сбор традиционно начинается во второй половине сентября. В регионах с более коротким и прохладным летним периодом (например, в средней полосе России, на Урале или в Сибири) сроки могут сдвигаться на конец сентября – начало октября.
Ориентироваться только на внешний вид ягод недостаточно. Ключевым индикатором служит изменение вкуса: изначальная кислота заметно смягчается, устанавливается сбалансированный кисло-сладкий профиль, а слабый изабельный привкус (характерный «лисьий» или «земляничный» оттенок) становится явно различимым. Для точного определения можно использовать портативный рефрактометр: оптимальный показатель сахаристости для технических сортов такого типа обычно находится в диапазоне 18-22% Brix.
Особенности сбора и потенциал урожайности
Сбор проводят исключительно в сухую погоду. Это критически важно для последующей переработки, так как влага на ягодах может разбавить сок и спровоцировать развитие нежелательной микрофлоры. Средний вес одной грозди составляет около 200 граммов, ягоды округлые, весом 1-2 грамма каждая.
Урожайность взрослого, правильно сформированного куста достигает заявленных 4 килограммов. Для сильнорослого растения это не максимально возможный показатель, однако он компенсируется другими ключевыми качествами – выдающейся морозостойкостью до -30°C и высокой устойчивостью к грибковым болезням. Такой баланс делает сорт надежным и стабильным, даже без экстремальных агротехнических приемов.
Если урожай планируется использовать для виноделия, практикуется прием «подвяливания» ягод на кусте. После наступления полной зрелости гроздям дают повисеть еще 7-10 дней (при условии сухой и по возможности солнечной погоды). Это позволяет влаге частично испариться, а концентрации сахаров и ароматических веществ – увеличиться, что положительно скажется на качестве будущего вина.
Особенности хранения
Сорт относится к техническим, и его основное предназначение – переработка. В свежем виде урожай не обладает выдающейся лежкостью, что является общей чертой для большинства винных сортов. Однако некоторые специфические характеристики, указанные в описании, напрямую влияют на поведение ягод после сбора.
Сроки и условия хранения свежих гроздей
При необходимости сохранить грозди в свежем виде на короткий период важно создать правильные условия. Оптимальная температура составляет +2…+5°C, а влажность воздуха – 85-90%. Грозди раскладывают в один слой в неглубокие ящики или на полки, чтобы избежать деформации и прения.
Благодаря округлой форме, плотной кожице и мясисто-сочной мякоти ягоды не склонны к быстрому загниванию и потере тургора. Рыхлая структура грозди среднего размера (около 200 г) обеспечивает хорошую вентиляцию. В таких условиях урожай может сохранять товарный вид и приемлемые вкусовые качества до 2-3 недель.
Транспортабельность и подготовка к переработке
Высокая транспортабельность – одно из практических достоинств сорта. Упругая мякоть и прочная кожица позволяют ягодам хорошо переносить перевозку, не теряя сок и не деформируясь. Это качество особенно ценно для небольших хозяйств, доставляющих урожай на винодельческие предприятия.
Для максимального сохранения качества соков и будущих вин рекомендуется перерабатывать ягоды как можно скорее после сбора. Перед дроблением грозди необходимо тщательно перебрать, удаляя случайно попавшие листья, поврежденные или высохшие ягоды, чтобы избежать нежелательных примесей во вкусе.
Среднепоздний срок созревания диктует и логистику переработки. Уборку урожая часто планируют на период, когда основные работы в саду завершены, что позволяет сосредоточиться на технологических процессах – отжиме сока, приготовлении виноматериалов или других видов переработки.
Вкус и применение
Вкусовой профиль ягод этого технического сорта формируется его генетическим происхождением. Кисло-сладкий баланс с характерным слабым изабельным оттенком — прямое наследие американских видов винограда в родословной. Этот специфический привкус, который также часто описывают как «лисьий», делает потребление в свежем виде делом вкуса: одни садоводы ценят его за оригинальность, другие находят слишком выраженным.
Мясисто-сочная мякоть и черный цвет кожицы указывают на хороший потенциал для переработки, где эти качества раскрываются полностью. Именно в продуктах переработки сорт находит свое истинное предназначение.
Основные направления переработки
Благодаря высокой кислотности, насыщенному цвету и устойчивому аромату, урожай является отличным сырьем для домашних заготовок. Каждое направление использования имеет свои нюансы.
- Виноделие. Сорт считается виномерным. Из него получаются плотные столовые и десертные вина насыщенного рубинового цвета. Изабельный тон в букете, который может быть недостатком для свежей ягоды, в вине часто воспринимается как интересная терпковатая особенность, особенно в купажах с более нейтральными сортами.
- Соки и напитки. Получаемый сок отличается высокой кислотностью, густотой и интенсивной окраской. Для смягчения вкуса его часто купажируют, смешивая со сладкими соками яблок, груш или менее ароматных ягодных культур. Это позволяет создать сбалансированный и полезный напиток.
- Заготовки. Ягоды отлично подходят для всех видов домашней консервации. В варенье, джемах и компотах естественная кислинка сорта гармонично сочетается с добавленным сахаром, создавая многогранный вкус без приторности. Плотная кожица хорошо держит форму при термической обработке.
Урожайность в 4 кг с куста, заявленная для сорта, при промышленной посадке обеспечивает значительный объем сырья для переработки. Для домашнего использования этого количества более чем достаточно для обеспечения семьи вином, соком и заготовками на зиму.
При планировании переработки стоит учитывать среднепоздний срок созревания. К сбору урожая приступают, когда ягоды полностью наберут цвет, а вкус потеряет травянистые нотки, оставив чистую кисло-сладкую основу с характерным сортовым ароматом.


















