Виноград «Мариновский» — технический сорт с выдающейся морозостойкостью до -30°C, не требующий укрытия. Его темно-синие ягоды с гармоничным вкусом идеально подходят для виноделия. Узнайте о сильных сторонах, нюансах выращивания и потенциале этого сильнорослого и урожайного гибрида.
Происхождение и описание
Данный сорт является результатом целенаправленной селекции, нацеленной на объединение высоких вкусовых качеств культурного винограда с выносливостью диких видов. Его создание — заслуга специалистов Новочеркасского ВНИИ виноградарства и виноделия имени Я. И. Потапенко, института, известного разработкой зимостойких ампелографических форм для северного виноградарства.
Генетические истоки
Сорт получен в результате скрещивания двух родительских форм: гибрида Июльский и дикого Амурского винограда. Эта комбинация определила его ключевые свойства. От сложного гибрида Июльский (Северный х Мускат гамбургский) Мариновский унаследовал относительно крупную ягоду с гармоничным вкусом и мускатными нотами в ароматике. Решающий вклад в генетику внес второй родитель — Амурский виноград, который передал гибриду исключительную морозостойкость, высокую устойчивость к болезням и общую жизнестойкость в сложных климатических условиях.
Именно амурская «кровь» позволяет сорту без укрытия переносить морозы до -30°C, что кардинально расширяет географию его возможного выращивания. Такой генетический фон делает его не просто техническим сортом, а надежным ресурсом для производства виноматериалов в зонах, традиционно считавшихся непригодными для виноградарства.
Ключевые особенности и агрономический профиль
Как технический сорт, он ориентирован в первую очередь на переработку. Его ягоды с плотной кожицей, сочной мякотью и сбалансированным вкусом, при показателях сахаристости 19-21% и кислотности 4-5 г/л, являются отличным сырьем для производства столовых и крепленых вин, а также соков.
Среднепоздний период созревания требует от виноградаря правильного размещения кустов. Для полноценного набора сахара и вызревания лозы необходимо максимально солнечное и защищенное от холодных ветров место. Сильнорослая сила роста куста диктует специфику ухода: такая лоза требует простора, мощных опор и регулярной нормирующей обрезки. Без этого растение будет тратить силы на вегетацию в ущерб качеству урожая и подготовке к зиме.
Урожайность на уровне 10 кг с куста или 72,6 ц/га для технического сорта с такой высокой зимостойкостью считается стабильной и хорошей. Плотные грозди средней величины и овальные ягоды весом 4-6 г обладают хорошей транспортабельностью, что упрощает их доставку к месту переработки.
Внешний вид куста и ягоды
Сила роста этого сорта — одна из его определяющих визуальных характеристик. Куст формирует мощные, сильнорослые лозы, которые за сезон могут давать прирост в несколько метров. Такая энергия роста требует простора и своевременной подвязки к прочной шпалере, иначе побеги начинают переплетаться, что ухудшает проветривание и освещение.
Древесина вызревает хорошо, что видно по характерному коричневому цвету однолетних побегов к концу сезона. Это важный показатель успешной подготовки растения к зиме. Листовая пластина среднего размера, обычно трех- или пятилопастная, со слабой степенью рассечения. Нижняя сторона листа имеет легкое паутинистое опушение — прямое наследие амурского винограда, участвовавшего в селекции.
Характеристики грозди
Грозди имеют преимущественно коническую форму, иногда с крылом. Плотность варьируется от средней до плотной, что является положительным фактором для технического сорта: ягоды в плотных гроздях меньше повреждаются осами и птицами. Масса в 280-500 граммов считается высокой для сортов такого назначения, что напрямую влияет на общую урожайность.
Особенности ягоды
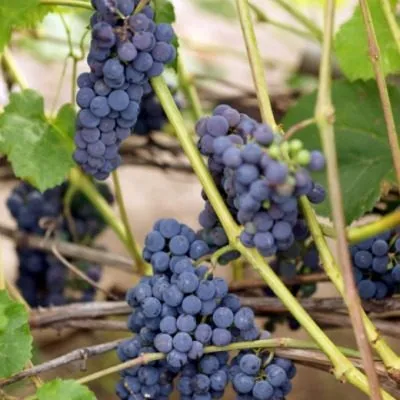
Ягоды привлекают внимание своими размерами. При массе 4-6 граммов они выглядят очень крупными для винограда, идущего на переработку, где обычно ценятся более мелкие ягоды с высоким соотношением кожицы и сока. Форма овальная, иногда слегка яйцевидная.
Окраска — ключевой маркер зрелости. В фазе технической зрелости ягоды приобретают насыщенный темно-синий цвет, который на солнце кажется практически черным. Их защищает плотный слой природного воскового налета (пруина), придающий матовый, сизый оттенок. Именно плотная кожица обеспечивает хорошую транспортабельность и устойчивость к растрескиванию в дождливые периоды.
Мякоть сочная, без выраженной ароматики. Гармоничный вкус формируется за счет оптимального баланса сахаристости (19-21%) и кислотности (4-5 г/л). Такой биохимический профиль создает идеальную основу для виноделия, где требуется не доминирующий фруктовый тон, а структура, глубина и потенциал к выдержке.
Внешний вид куста, гроздей и ягод напрямую указывает на его техническое предназначение: мощный рост обеспечивает высокий урожай, а внешняя скромность ягод скрывает их идеальный внутренний баланс для создания сложных вин.
Морозостойкость и проблемы выращивания
Способность выдерживать морозы до -30 °C — это определяющая характеристика, которая выделяет данный сорт среди многих технических разновидностей. Такая зимостойкость позволяет выращивать его без укрытия на зиму в большинстве регионов России, где температура не опускается ниже этого критического порога. Это освобождает виноградаря от ежегодной трудоемкой работы по снятию, укладке и утеплению лозы.
Нюансы применения высокой морозостойкости
Однако важно понимать, что заявленный показатель относится прежде всего к хорошо вызревшей однолетней древесине и спящим почкам. Корневая система винограда в целом менее морозостойка, чем надземная часть. В регионах с малоснежными, но морозными зимами существует риск подмерзания корней, расположенных в верхних слоях почвы.
Поэтому даже при неукрывной культуре рекомендуется проводить защиту корневой зоны. Осенью, после обрезки, приствольный круг стоит замульчировать слоем органики (солома, древесная щепа, опавшие листья) толщиной 10-15 см. Это создаст дополнительную теплоизоляцию и защитит корни от резких перепадов температуры.
Восприимчивость к болезням и вредителям
Генетика, унаследованная от амурского винограда, наделила сорт повышенной полевой устойчивостью к милдью (ложной мучнистой росе). Это значит, что даже в неблагоприятные годы поражение развивается медленнее, чем у восприимчивых европейских сортов. Однако сорт не обладает абсолютным иммунитетом и может поражаться другими распространенными грибковыми инфекциями.
Основную угрозу представляет оидиум (настоящая мучнистая роса) и серая гниль. Риск последней повышается в дождливые сезоны из-за особенностей строения грозди: средняя плотность и плотность способствуют задержанию влаги внутри. Для профилактики достаточно 1-2 профилактических обработок фунгицидами (например, на основе серы или меди) за сезон: первая — до цветения, вторая — после него, когда ягоды достигнут размера горошины.
Среди вредителей особого внимания заслуживают осы, которых привлекают сладкие, созревающие ягоды. Плотная кожица в некоторой степени защищает от их укусов, но при массовом нашествии урожай может пострадать. Меры борьбы стандартны: уничтожение гнезд вблизи участка, использование ловушек с приманками и защитных сеток на гроздях.
Как посадить и ухаживать
Агротехника этого сорта строится вокруг его ключевых характеристик: высокой силы роста и выдающейся морозостойкости, не требующей укрытия. Эти особенности напрямую влияют на стратегию посадки и последующего ухода.
Особенности посадки неукрывного винограда
Поскольку укрытие куста на зиму не предусмотрено, отпадает необходимость в глубокой посадке «в яму» для формирования укрывного рукава. Основная задача — создать условия для развития мощной, глубоко проникающей корневой системы, которая обеспечит стабильное питание сильнорослому кусту.
- Подготовьте посадочное место размером 80×80×80 см. Такая глубина необходима для закладки дренажа и питательного слоя, который будет поддерживать растение в первые 3-4 года. На плотных глинистых почвах или в регионах с глубоким промерзанием грунта глубину можно увеличить до 1 метра.
- На дно ямы насыпьте слой дренажа (керамзит, щебень, битый кирпич) толщиной 15-20 см. Это предотвратит застой воды у корней. Поверх дренажа заполните яму на 2/3 подготовленной почвенной смесью. Для её составления смешайте вынутую землю, 2-3 ведра хорошо перепревшего перегноя или компоста, 200-300 г суперфосфата и 100-150 г сернокислого калия. Свежий навоз и азотные минеральные удобрения при посадке не используют.
- В центре ямы сформируйте холмик из обычной садовой земли. Установите на него саженец, равномерно расправив корни вниз по склонам холмика. Контролируйте глубину: корневая пятка (основание штамба) должна находиться точно на уровне поверхности почвы. После посадки на неукрывной культуре недопустимо как заглубление, так и высокая посадка. Засыпьте яму остатком грунта, аккуратно уплотните его ногой по окружности и обильно полейте 2-3 ведрами воды.
Специфика ухода, связанная с силой роста
Уход за взрослым кустом имеет важную особенность — необходимость сдерживания избыточной вегетативной энергии. Без контроля мощный рост может привести к загущению куста, плохому вызреванию лозы и снижению урожайности.
Полив проводят редко, но обильно, промачивая земляной ком на глубину залегания основных корней. Критически важны поливы в две фазы: за неделю до начала цветения и в период, когда ягоды достигнут размера горошины. В остальное время сорт, благодаря развитой корневой системе, достаточно засухоустойчив.
Система подкормок должна минимизировать риск «жирования». Весной, после открытия, вносят азотные удобрения (например, 30-40 г аммиачной селитры на куст) для старта вегетации. Летом, перед цветением и в начале налива ягод, делают акцент на фосфорно-калийных подкормках (зола, монофосфат калия), которые способствуют плодоношению и вызреванию лозы. Избыток азота во второй половине лета строго противопоказан.
Ключевым приёмом управления ростом является своевременная чеканка побегов. Её проводят в августе, укорачивая активно растущие верхушки побегов над 15-16-м листом. Это останавливает бесполезный рост, перенаправляя питательные вещества на вызревание гроздей и одревеснение лозы, что критически важно для успешной зимовки.
Правила обрезки
Для сильнорослого технического сорта обрезка является ключевым агроприемом, напрямую влияющим на урожайность и качество ягод. Мощный рост куста требует постоянного контроля, иначе энергия будет тратиться на формирование избыточной зеленой массы в ущерб плодоношению.
Сроки и цели обрезки
Основную формирующую обрезку проводят осенью, после листопада, или ранней весной до начала сокодвижения (так называемого «плача» винограда). Осенняя обрезка удобна для организации укрытия в регионах с суровыми зимами, однако в зонах, где сорт зимует без укрытия, допустима и весенняя. Летом выполняют только зеленые операции: пасынкование, чеканку и нормировку соцветий для улучшения проветривания и освещения гроздей.
Особенности плодоношения и длина обрезки
Сорт характеризуется тем, что первые 2-3 глазка (почки) на вызревшем побеге часто бывают менее продуктивными или дают бесплодные побеги. Поэтому для Мариновского рекомендуется средняя или длинная обрезка плодовых стрелок. На каждой такой стрелке оптимально оставлять 8-12 глазков. Это обеспечивает выход продуктивных побегов из средней и верхней части лозы, где закладываются более плодоносные почки.
Короткая обрезка (на 3-4 глазка) для этого сорта нежелательна, так как может привести к недогрузке куста и, как следствие, к усиленному росту жирующих побегов.
Выбор формировки и регулировка нагрузки
Выбор формы куста зависит от климатических условий и целей выращивания. Поскольку сорт обладает высокой морозостойкостью (−30 °C), в регионах с мягкими зимами его можно формировать на высоком штамбе, например, в виде одноплечего или двуплечего кордона. Это облегчает уход и улучшает освещенность. В зонах с более суровым климатом или для подстраховки практикуют бесштамбовые веерные формировки с 4-6 рукавами, которые при необходимости легче пригнуть к земле.
Следующая таблица поможет подобрать схему обрезки в зависимости от выбранной формировки и возраста куста.
| Тип формировки | Рекомендуемая нагрузка глазками | Длина обрезки плодовой стрелки | Для каких условий предпочтительна |
|---|---|---|---|
| Бесштамбовая, веерная (4 рукава) | 50-60 глазков на куст | 8-10 глазков | Универсальная и надежная схема для большинства регионов, позволяет легко укрыть куст. |
| Высокоштамбовая (кордон) | 60-80 глазков на куст | 10-12 глазков | Для южных и центральных регионов с устойчивыми зимними температурами в рамках морозостойкости сорта. |
| Полуукрывная (наклонный кордон) | 40-50 глазков на куст | 6-8 глазков | Зоны, где возможны экстремальные морозы ниже заявленной морозостойкости, для подстраховки. |
| Арочная или беседочная | 80-100+ глазков | 10-12 глазков (с запасом) | Для декоративного и хозяйственного использования, где важна тень и максимальный урожай. |
| Молодой куст (3-4 года) | 20-30 глазков | 4-6 глазков | Формирующая обрезка для наращивания многолетней древесины (рукавов) и штамба. |
Указанные цифры нагрузки являются ориентиром. Ключевой принцип — ежегодная корректировка исходя из силы роста куста в предыдущем сезоне.
Как оценить и скорректировать нагрузку
После обрезки всегда анализируйте состояние куста по итогам прошедшего вегетационного периода. Это лучший индикатор для планирования нагрузки на следующий год.
Если побеги вызрели длинными (более 1,5-2 метров), толстыми и равномерными, значит, куст был недогружен. В текущем сезоне количество плодовых стрелок или глазков на них можно смело увеличить.
Дополнительным инструментом регулировки является весеннее нормирование соцветий. На сильнорослом кусте можно оставить по два соцветия на плодовом побеге, а на среднем или слабом — только одно. Это помогает добиться стабильного качества ягод и гарантированного вызревания лозы.
Уборка, хранение и использование ягод
Созревание ягод этого технического сорта происходит в среднепоздние сроки. В условиях средней полосы уборку урожая часто планируют на конец сентября — начало октября. Критически важно дождаться полного технологического созревания, когда сахаристость достигает заявленных 19-21%, а кислотность снижается до оптимальных для сорта 4-5 г/л.
Определить эту точку можно органолептически: ягода набирает насыщенный темно-синий, почти черный цвет, а вкус становится гармоничным, без выраженной травянистой кислоты. Для точности используют рефрактометр. Срезать грозди следует секатором в сухую погоду, оставляя небольшую плодоножку.
Особенности хранения и транспортировки
Как и большинство технических сортов, Мариновский не предназначен для многомесячного хранения в свежем виде. Его ключевое преимущество в данном контексте — отличная транспортабельность. Плотная кожица и сочная, но не водянистая мякоть позволяют перевозить собранные грозди на значительные расстояния без существенных потерь от механических повреждений.
Для кратковременного хранения (2-3 недели) грозди укладывают в один слой в неглубокие ящики и помещают в прохладное, хорошо вентилируемое помещение с температурой +1…+5°C, например, в погреб или холодильник. Мыть ягоды перед закладкой на хранение нельзя.
Направления переработки урожая
Благодаря гармоничному вкусу, высокой сахаристости и насыщенной окраске сока, сфера использования ягод очень широка в рамках технического назначения. Универсальность является одной из сильных сторон сорта.
- Сухие и полусухие вина. Виноматериал получается интенсивного рубинового цвета с хорошей танинной структурой, что обеспечивает потенциал к выдержке. Баланс кислотности и фруктовых тонов делает его пригодным как для моносортовых вин, так и для купажей, где он часто выступает основой, придающей цвет и тело.
- Крепленые вина. Исходные параметры ягоды (сахар и кислотность) идеально подходят для производства портвейнов, кагоров и других десертных вин. Гармоничный вкус позволяет получать сбалансированные напитки без резких edges.
- Соки, морсы и нектары. Сок обладает очень плотным, насыщенным цветом и приятной, освежающей кислинкой. Он часто используется в купажах с менее окрашенными или более пресными соками.
- Домашние заготовки. Овальные ягоды с плотной кожицей хорошо сохраняют форму в компотах и варенье. Косточки, характерные для сорта, при правильной переработке могут давать легкий миндальный оттенок, что ценится в некоторых рецептах.
Высокая урожайность и стабильность сорта позволяют получать значительные объемы сырья, достаточные для экспериментов с разными типами переработки в рамках одного сезона.
















