Виноград «Амурский черный» — уникальный сорт, сочетающий в себе невероятную морозостойкость до -40°C и очень ранний срок созревания. Его тёмные ягоды с синеватым отливом обладают гармоничным вкусом, а сам куст отличается сильным ростом и стабильной урожайностью. Давайте разберёмся, в чём его сильные стороны и какие нюансы ухода важно учесть.
Сорт: история и основные данные
Этот сорт — прямой потомок дикого амурского винограда (Vitis amurensis), произрастающего в лесах Дальнего Востока. Он является результатом длительного народного отбора наиболее удачных дикорастущих форм, а не продуктом современной селекционной программы. Его ключевая особенность — генетически заложенная способность выживать в экстремальных условиях, что и определило его судьбу в виноградарстве.
Феноменальная морозостойкость, достигающая -40°C, позволила культивировать его в зонах рискованного земледелия. Сорт стал фундаментом для выведения многих современных комплексно-устойчивых гибридов, передав им свой главный «северный» ген. Для садоводов Урала, Сибири и Дальнего Востока он часто становится первым и самым надежным виноградом, не требующим сложного укрытия.
Ключевые характеристики и их значение
Сорт сочетает в себе выносливость дикого предка и вполне приемлемые для культуры качества урожая. Основные параметры, подтвержденные многолетней практикой, систематизированы в таблице. Они являются основой для понимания его агротехники и потенциала.
| Характеристика | Значение / Описание | Практическое значение для садовода |
|---|---|---|
| Назначение | Универсальный | Ягоды пригодны для свежего потребления и всех видов переработки: сок, вино, компот, варенье. |
| Срок созревания | Очень ранний (105 дней) | Вегетационный цикл успевает полностью завершиться даже в регионах с коротким и прохладным летом. |
| Сила роста | Сильнорослый | Лоза быстро формирует многолетнюю древесину и мощный листовой аппарат. Требует много пространства и прочных, капитальных опор. |
| Морозостойкость | До -40 °C | В зоне естественного произрастания и аналогичных по климату регионах может зимовать без укрытия. В местах с малоснежными морозными зимами рекомендуется легкое укрытие для гарантии. |
| Урожайность | 60-80 ц/га | Для технического (универсального) сорта это стабильная и хорошая урожайность, обеспечивающая сырье для переработки. |
| Вес грозди | 200-250 г | Грозди средней величины, что компенсируется их большим количеством на мощном кусте. |
| Содержание сахара | 23% | Высокий показатель, обеспечивающий хороший баланс вкуса в свежих ягодах и позволяющий производить виноматериалы без шаптализации (добавления сахара). |
Как видно из данных, сорт ориентирован в первую очередь на надежность и стабильность. Его очень ранний срок созревания гарантирует получение урожая ежегодно, а мощный рост позволяет быстро декорировать пространство. Высокая сахаристость ягод при универсальном назначении делает его ценным сырьем для домашних заготовок.
Именно эта генетическая близость к дикой форме обеспечила сорту беспрецедентную жизнестойкость. Она же определяет и специфику ухода, который больше направлен на управление буйной силой роста, чем на защиту от капризов погоды.
Внешние особенности сорта
Этот сорт легко узнать по характерному облику, который выдает его природное происхождение. Он представляет собой мощную, энергичную лиану, чья сила роста изначально была адаптирована для борьбы за свет в условиях дальневосточной тайги. В культуре это проявляется в быстром освоении больших объемов шпалеры или опоры.
Габитус куста и листья
Листва у Амурского черного крупная, трех- или пятилопастная, с выраженной морщинистой поверхностью. Осенью куст становится главным декоративным акцентом участка, окрашиваясь в яркие багряные, пурпурные и желто-оранжевые тона. Это качество активно используется в ландшафтном дизайне для создания живых изгородей, декорирования беседок и арок.
Характеристики грозди и ягод
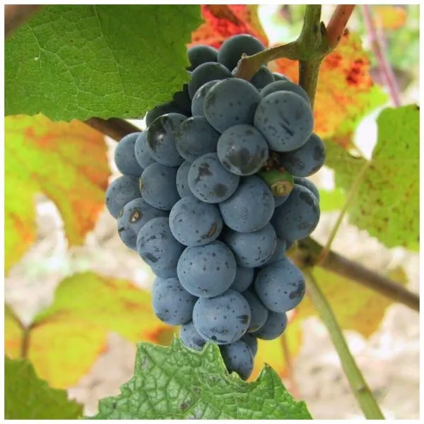
Грозди имеют коническую форму, среднюю плотность и умеренный вес, что является типичным для многих технических сортов. Ягоды в них не склонны к осыпанию даже при перезревании, что облегчает сбор урожая. Главная же «визитная карточка» сорта — это сами ягоды.
Их внешний вид и строение напрямую связаны с заявленными техническими характеристиками и назначением. Глубокий черный цвет с интенсивным синеватым пруиновым налетом (восковым слоем) обеспечивает не только привлекательность, но и естественную защиту от грибковых инфекций и испарения влаги. Стирать этот налет при сборе или перед переработкой не рекомендуется.
Округлые, выровненные ягоды весом 6-8 грамм покрыты плотной, но тонкой кожицей. На практике это означает, что при еде она не ощущается грубой, но при этом надежно защищает ягоду. Именно такое строение обеспечивает хорошую транспортабельность и устойчивость к растрескиванию в условиях повышенной влажности.
Мякоть светлая, с зеленоватым оттенком и содержит много сока. Вкус, описываемый как обыкновенный, на деле представляет собой классический, гармоничный виноградный вкус без выраженных мускатных или ягодных тонов. Высокое содержание сахара (до 23%) балансируется достаточной кислотностью, что является идеальной основой для переработки.
Таким образом, вся морфология Амурского черного — от мощного куста до структуры ягоды — указывает на его универсальность и надежность. Внешний вид сигнализирует о хорошей лежкости и пригодности как для свежего потребления, так и для получения качественных продуктов переработки: соков, вин, джемов.
Зимовка и болезни
Главное преимущество этого сорта — выдающаяся зимостойкость, унаследованная от дикого амурского предка. Лоза способна выдерживать морозы до -40°C, что кардинально меняет подход к укрытию в большинстве регионов России. Однако эта устойчивость не абсолютна и требует понимания нюансов.
Особенности организации зимовки
Стратегия укрытия напрямую зависит от климатической зоны и возраста куста. Взрослые, хорошо вызревшие лозы демонстрируют феноменальную устойчивость.
В регионах с устойчивым и высоким снежным покровом (Сибирь, Урал, часть Дальнего Востока) часто достаточно аккуратно пригнуть одревесневшие побеги к земле и зафиксировать их. Естественный снежный покров, выступая идеальным теплоизолятором, надежно защитит куст. При малоснежье или на открытых участках поверх лозы укладывают лапник или натягивают один слой плотного агротекстиля (спанбонд 60 г/м²).
В условиях малоснежных, но морозных зим (например, в некоторых областях Поволжья) необходимо легкое воздушно-сухое укрытие. Основная цель здесь — не столько защита от мороза, сколько предотвращение повреждений от зимнего солнца, иссушающих ветров и резких перепадов температур в период оттепелей. Для этого лозу укладывают на сухую подложку (доски, пенопласт), сверху сооружают каркас из дуг или ящиков и накрывают его водонепроницаемым материалом, оставляя продухи для вентиляции.
На юге России и в средней полосе, где морозы редко превышают критический для сорта порог, взрослые кусты могут успешно зимовать на шпалере без какого-либо укрытия. Это существенно экономит силы и время садовода.
Восприимчивость к болезням и вредителям
Несмотря на общую выносливость, сорт не обладает иммунитетом к основным грибковым заболеваниям винограда. Его устойчивость к ним оценивается как средняя, что требует от садовода внимания, особенно в регионах с влажным климатом.
| Болезнь/Вредитель | Степень устойчивости и специфика | Ключевые меры профилактики для данного сорта |
|---|---|---|
| Милдью (ложная мучнистая роса) | Средняя. Поражается в эпифитотийные (благоприятные для болезни) годы, но обычно позже и слабее, чем европейские сорта. | Обязательна профилактическая обработка медьсодержащими препаратами (бордоская смесь, хлорокись меди) до цветения и после него. В дождливое лето может потребоваться дополнительное опрыскивание. |
| Оидиум (настоящая мучнистая роса) | Относительно высокая. Поражается реже, чем милдью. | В качестве профилактики эффективны обработки препаратами на основе серы. Опрыскивания проводят при первых признаках болезни, уделяя внимание плохо проветриваемым частям куста. |
| Серая гниль | Низкая. Этому способствуют сочная мякоть ягод и характерная для сорта средняя плотность грозди, где в сырую погоду застаивается влага. | Крайне важна правильная формировка куста с целью максимального проветривания зоны гроздей. Следует избегать загущения и избыточного полива во второй половине лета. При необходимости применяют разрешенные фунгициды. |
| Антракноз | Данные противоречивы. Встречается редко. | Стандартные профилактические меры: уборка растительных остатков, прореживание кроны, обработки от милдью обычно сдерживают и это заболевание. |
| Филлоксера (виноградная тля) | Восприимчив. Как и большинство корнесобственных европейско-амурских гибридов, не имеет устойчивости к корневой форме этого опасного вредителя. | В регионах, зараженных филлоксерой (например, часть Краснодарского края, Черноземье), настоятельно рекомендуется посадка не корнесобственных саженцев, а привитых на филлоксероустойчивые подвои (Рипариа х Рупестрис 101-14, Берландиери х Рипариа Кобер 5ББ). |
Таким образом, агротехника защиты строится на превентивных мерах. В сухом континентальном климате Сибири обработки могут не потребоваться вовсе. В зонах рискованного виноградарства (например, Северо-Запад) программа защиты должна быть регулярной и комплексной, как для уязвимых сортов. Наблюдение за состоянием куста — лучший ориентир для принятия решений.
Агротехника: посадка, уход, обрезка, защита
Агротехника этого сорта имеет свои нюансы, продиктованные его мощной силой роста и зимостойкостью. Стандартные приемы здесь нужно корректировать, чтобы раскрыть потенциал растения и избежать проблем.
Посадка и размещение
Из-за заявленной сильнорослости схема посадки должна быть просторной. Минимальное расстояние между кустами в ряду составляет 2,5-3 метра. Яму готовят глубокую (80-100 см) и широкую, учитывая, что корневая система уходит далеко вглубь. На дно обязателен дренажный слой.
При посадке яму хорошо заправляют органикой (перепревший навоз, компост) и фосфорно-калийными удобрениями. Азотные удобрения в первый год лучше не вносить, чтобы не стимулировать излишний вегетативный рост в ущерб подготовке к зиме.
Полив и питание
Сорт влаголюбив, что характерно для его происхождения. Особенно важен полив в первую половину лета, в период активного роста побегов и формирования урожая. Однако с началом созревания ягод, примерно за 2-3 недели до сбора, полив существенно сокращают. Это предотвращает растрескивание ягод из-за перепада влажности и снижает риск развития серой гнили.
Подкормки проводят по стандартной схеме, но с поправкой на силу роста. Весной вносят азотные удобрения для старта вегетации, летом — комплексные с микроэлементами, осенью — фосфорно-калийные для вызревания лозы. Из-за большого объема зеленой массы дозы удобрений можно увеличивать на 20-30% по сравнению со слаборослыми сортами.
Формировка, обрезка и зеленые операции
Это самый важный и специфичный элемент ухода. Без контроля сильнорослая лоза быстро загущается, что ведет к плохому проветриванию, болезням и мельчанию гроздей.
Выбор формировки: Идеальны крупные, просторные формы: высокий штамб, беседочная или арочная культура. При выращивании на шпалере лучше использовать формировку с длинными многолетними рукавами, которые способны выдержать мощный рост.
Обрезка плодовых лоз: Благодаря хорошему плодоношению на побегах из замещающих почек, обрезку можно проводить как на среднюю (5-7 глазков), так и на длинную лозу (8-12 глазков). Часто применяют смешанный тип обрезки: на сучке замещения оставляют 2-3 глазка, а на плодовой стрелке — 6-8 глазков.
Нормирование урожая и зеленые операции: Весной, после начала роста, обязательно выламывают лишние, слабые и двойные побеги. На одном плодовом звене целесообразно оставлять не более 2-3 сильных побегов. Это улучшит освещенность и увеличит размер ягод, которые при правильном уходе достигают 6-8 граммов.
Летом проводят пасынкование (удаление боковых побегов в пазухах листьев) и чеканку. Чеканку — укорачивание верхушек растущих побегов — выполняют в августе, чтобы остановить бесконтрольный рост и перенаправить силы растения на созревание урожая и древесины.
Защита от болезней и вредителей
Главная профилактическая мера — недопущение загущения куста, обеспечивающее хорошую циркуляцию воздуха. В регионах с сухим климатом, где часто выращивают этот морозостойкий сорт, болезней может быть мало.
Однако в условиях влажного и теплого лета рекомендуется 1-2 профилактических опрыскивания от милдью и оидиума. Первую обработку фунгицидом (средством от грибковых болезней) проводят до цветения, вторую — после, когда ягоды достигнут размера горошины. Плотная, но тонкая кожица ягод надежно защищает мякоть, но листья нуждаются в защите.
Сбор ягод и их использование
Созревание наступает в очень ранние сроки. В средней полосе техническая зрелость, когда ягоды набирают положенные 23% сахара, обычно приходится на середину или конец августа. Точный срок зависит от погодных условий конкретного сезона.
Определить оптимальное время для срезания гроздей помогает несколько визуальных и вкусовых признаков. Ягоды должны приобрести равномерную черную окраску с характерным синеватым лоском (пруином). Важно дождаться, чтобы исчезли травянистые нотки во вкусе, что свидетельствует о полном физиологическом созревании.
Нюансы сбора и хранения урожая
Благодаря плотной, но тонкой кожице и прочному прикреплению ягод к плодоножке, созревшие грозди демонстрируют отличную устойчивость к осыпанию. Это позволяет им долго, до нескольких недель, оставаться на кусте без потери товарных качеств, что особенно ценно для садоводов с нерегулярным посещением участка.
Срезать грозди необходимо садовым секатором, оставляя небольшую часть гребненожки. Урожайность в условиях частного сада при грамотной агротехнике может составлять 20-30 кг с одного взрослого куста, что соответствует заявленным характеристикам.
Заявленная хорошая транспортабельность урожая действительно позволяет без значительных потерь перевозить собранные грозди. Однако для длительного хранения в свежем виде, как у специализированных столовых сортов, этот виноград не приспособлен. Его основное предназначение — быстрая переработка.
Варианты переработки и использования
Универсальное назначение сорта открывает множество возможностей для применения урожая. Каждое из направлений имеет свои особенности, обусловленные характеристиками ягоды.
- Потребление в свежем виде. Ягоды с обыкновенным, но приятным вкусом подходят для ежедневного рациона. Их округлая форма и насыщенный цвет делают грозди эффектным украшением фруктовых тарелок и десертов.
- Приготовление соков и напитков. Светлая мякоть с зеленоватым оттенком, содержащая много сока, в сочетании с темной кожицей дает густой сок интенсивного рубинового цвета. Высокая сахаристость (до 23%) позволяет готовить из него морсы, компоты и кисели с минимальным добавлением сахара или вовсе без него.
- Домашнее виноделие. Это классическая винная форма. Вино из чистого сырья получается терпким, с выраженной танинной структурой, хорошей кислотностью и глубоким, почти непрозрачным цветом. Часто его используют для купажирования, добавляя к более нейтральным винам для придания им цвета, тела и характерной «косточковой» терпкости.
- Заготовки. Плотная консистенция мякоти и небольшие размеры косточек делают ягоды отличным сырьем для варенья, джема, повидла и желе. Косточки в готовом продукте практически не ощущаются, что повышает качество заготовок.
Таким образом, ключевая особенность использования урожая этого сорта — его надежность как сырья для разнообразной переработки, гарантирующей вкусный результат даже в сложных климатических условиях.

















