Виноград «Молдавский» — проверенный временем столовый сорт позднего срока созревания. Его ценят за стабильную урожайность, крупные нарядные грозди и гармоничный вкус плотных ягод. Узнайте о его сильных сторонах, особенностях выращивания и о том, почему он до сих пор популярен у виноградарей.
История сорта
Этот классический столовый сорт, хорошо знакомый многим поколениям садоводов, был создан в Научно-исследовательском институте виноградарства и виноделия Молдовы. Его появление стало результатом целенаправленной работы селекционеров по выведению надежного, продуктивного и неприхотливого сорта для промышленного и любительского выращивания.
В отличие от многих современных сложных гибридов, Молдавский имеет прямое и простое происхождение. Он был получен от скрещивания двух известных европейских сортов: «Гузаль кара» (также известного как «Коарна нягрэ») и «Сейв Виллар 12-375». Эта родительская пара и определила ключевые качества сорта: от первого он унаследовал крупную ягоду, плотную мякоть и темную окраску, а от второго — повышенную устойчивость к грибковым заболеваниям.
Благодаря удачному сочетанию характеристик сорт быстро прошел испытания и уже несколько десятилетий остается востребованным. Его стабильность, узнаваемый внешний вид гроздей и отличная транспортабельность сделали его настоящим рыночным хитом на постсоветском пространстве.
Для многих виноградарей, особенно в южных регионах, он стал своего рода «рабочей лошадкой» виноградника. Сорт подтвердил свою выносливость и надежность, десятилетиями плодонося в старых садах даже при минимальном уходе, что окончательно закрепило за ним репутацию проверенного временем сорта.
Основные особенности сорта
Главная особенность этого винограда — его сбалансированность по целому ряду ключевых для садовода параметров. Он сочетает в себе неприхотливость, характерную для старых проверенных сортов, и высокие товарные качества, которые ценятся на рынке. Сорт был выведен для промышленного и любительского выращивания, что предопределило его основные агробиологические характеристики.
Адаптивность и сила роста
Сильнорослость куста является одной из определяющих черт. Мощная лоза быстро осваивает отведенное пространство, что требует соответствующей площади питания и своевременной формировки. Эта энергия роста позволяет растению хорошо восстанавливаться после стрессов и формировать крупный урожай. Однако именно из-за высокой силы роста сорт нуждается в регулярной и грамотной обрезке, иначе лоза будет тратить ресурсы на избыточную вегетацию в ущерб качеству гроздей.
Указанная морозостойкость до -15°C позволяет выращивать его без укрытия на зиму только в регионах с мягкими зимами. В большинстве областей России, Украины и Беларуси, где морозы часто превышают этот порог, лозу необходимо укрывать. Это важный нюанс, который отличает его от действительно неукрывных морозостойких гибридов.
Поздний срок созревания и его последствия
Поздний срок созревания (около 140 дней) является как преимуществом, так и ограничением. С одной стороны, это позволяет ягодам накопить высокое содержание сахара (168-180 г/дм³) при умеренной кислотности (6-7 г/дм³), формируя тот самый гармоничный вкус. С другой — для полного вызревания в условиях средней полосы и более северных регионов сорт может не уложиться в короткий вегетационный период.
Поэтому его успешное выращивание с получением качественного урожая напрямую зависит от суммы активных температур конкретной местности. В регионах с прохладным и коротким летом рекомендуется высаживать кусты у южных стен построек или использовать другие приемы аккумуляции тепла.
Товарные качества и лежкость
Высокие потребительские свойства обеспечиваются комплексом признаков. Плотная, хрустящая мякоть в сочетании с толстой и прочной кожицей делает ягоды устойчивыми к растрескиванию и механическим повреждениям. Именно это, наряду с умеренной плотностью грозди, обеспечивает отличную транспортабельность и длительное хранение.
Грозди могут сохранять свежесть и товарный вид в прохладных условиях в течение нескольких месяцев. Это качество, редкость для столовых сортов, делает его особенно ценным для тех, кто выращивает виноград для последующей продажи или длительного домашнего потребления. Урожайность в 80-120 ц/га подтверждает его надежность как коммерческого сорта при соблюдении стандартной агротехники.
Таким образом, сорт представляет собой классический пример удачного столового винограда для зон своего районирования: он не требует экстремальных усилий от виноградаря, но отзывчив на грамотный уход, стабильно плодоносит и дает урожай, который можно не только сразу потребить, но и сохранить.
Описание куста
Растение демонстрирует мощную, сильнорослую лозу, что является определяющей особенностью его агротехники. За вегетационный сезон побеги способны вырастать на значительную длину, часто превышающую 3-4 метра. Такая энергия роста диктует необходимость предоставления кусту большой площади питания и свободного пространства для развития.
При закладке виноградника минимальное расстояние между саженцами должно составлять 3-3,5 метра. Пренебрежение этой рекомендацией быстро приводит к смыканию крон, сильному загущению и ухудшению проветривания. В результате возрастает риск развития грибковых заболеваний, а урожайность падает из-за нехватки света и питания.
Особенности побегообразования и вызревания лозы
Одним из ключевых достоинств сорта является отличное вызревание лозы. Побеги, как правило, вызревают на большую часть своей длины, что хорошо видно по характерному коричневому цвету коры. Это качество критически важно для успешной перезимовки, так как хорошо одревесневшая лоза обладает повышенной морозостойкостью и служит надежным источником плодовых почек на будущий год.
Листовая пластина крупная, среднерассеченная, с тремя или пятью лопастями. Листья имеют классическую для многих сортов молдавской селекции форму, что придает кусту узнаваемый и декоративный вид в течение всего сезона.
Рекомендации по формировке
Сила роста открывает широкие возможности для различных типов формировки, но и накладывает определенные обязательства по уходу.
- Высокоштамбовые формировки и крупные арки. Сорт идеально подходит для декоративных целей. Он быстро оплетает опоры, создавая плотную тень. Однако на таких формировках крайне важно ежегодно проводить грамотную обрезку и нормировку побегов, чтобы избежать хаотичного загущения в центре конструкции.
- Классическая шпалера. При ведении на вертикальной шпалере рекомендуется выбирать формировки с большим запасом многолетней древесины, такие как двуплечий кордон или бесштамбовые веерные формы с 4-6 и более рукавами. Это позволяет оптимально распределить мощный рост куста и получить крупные грозди.
Без регулярной обрезки и летней чеканки (укорачивания верхушек побегов) лоза будет тратить силы на чрезмерный вегетативный рост в ущерб качеству и количеству урожая.
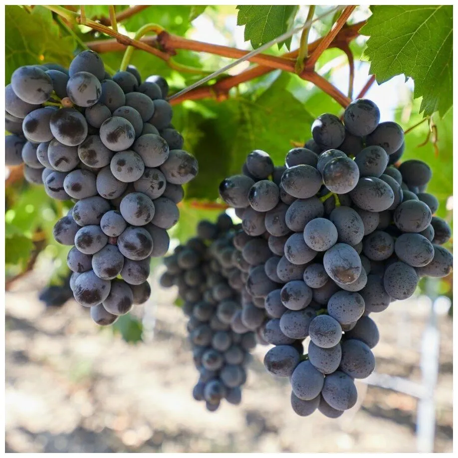
Грозди и ягоды сорта
Внешний вид плодов этого сорта — его главное коммерческое достоинство. Грозди имеют классическую коническую или цилиндро-коническую форму и впечатляющий размер, средний вес которых варьируется от 400 до 1000 граммов. Их плотность не является строго фиксированной и напрямую зависит от успешности опыления во время цветения.
В благоприятных условиях формируется умеренно рыхлая кисть, что считается преимуществом: между ягодами лучше циркулирует воздух, что снижает риск развития очагов гниения внутри грозди и улучшает товарный вид.
Особенности ягоды
Ягоды очень крупные, массой 8-10 граммов, что сразу выделяет сорт на рынке. Их форма преимущественно продолговатая, иногда с яйцевидными очертаниями и характерным округлым кончиком. Окраска темно-синяя, а благодаря обильному слою природного воскового налета (пруина) ягоды кажутся сизыми, почти черными.
Этот налет выполняет защитную функцию, предохраняя кожицу от механических повреждений и частично от болезней. Именно плотная, прочная кожица является ключевым фактором, обеспечивающим отличную транспортабельность и лежкость урожая, а также устойчивость ягод к растрескиванию при перепадах влажности.
Внутреннее строение и вкус
Мякоть у ягод плотная, мясисто-хрустящая. Такая консистенция, наряду с толстой кожицей, гарантирует, что грозди долго сохраняют свежесть после сбора. Вкус оценивается как гармоничный, без выраженных фруктовых или цветочных тонов, но с классическим виноградным букетом.
Гармония обеспечивается оптимальным балансом сахара и кислоты: показатель сахаристости сока достигает 168-180 г/дм³, а титруемая кислотность находится на уровне 6-7 г/дм³. Такой баланс делает вкус насыщенным, но не приторным.
Крупный размер ягоды и грозди, их привлекательный внешний вид и отличные товарные качества после транспортировки — основные причины, по которым данный сорт десятилетиями остается востребованным для коммерческой реализации.
Зимостойкость сорта
Заявленная морозостойкость до -15°C является ключевым параметром для понимания зимостойкости этого сорта. Это значение отражает критический порог, при котором возможно повреждение основных тканей лозы. Однако реальная устойчивость в саду зависит от множества факторов, которые необходимо учитывать.
Интерпретация показателя и региональные особенности
Указание, что укрытие на зиму не требуется, следует рассматривать строго в контексте традиционных зон промышленного виноградарства. К ним относятся регионы с мягкими зимами, где отрицательные температуры редко достигают критической отметки, например, Крым или Черноморское побережье Кавказа. В этих условиях лоза может успешно зимовать в неукрывной культуре.
Для подавляющего большинства регионов России, где зимние минимумы стабильно опускаются ниже -15°C, а зачастую и до -20…-25°C, укрытие является обязательной агротехнической процедурой. Особую уязвимость представляют плодовые почки (глазки), чья зимостойкость обычно на 3-5 градусов ниже, чем у вызревшей лозы. Их гибель при экстремальных температурах приведет к потере урожая, даже если сама лоза сохранится.
Специфика подготовки и укрытия
Подготовка к зиме для этого сильнорослого сорта имеет свои нюансы. Из-за позднего срока созревания и высокой нагрузки урожаем лоза может уходить в зиму недостаточно вызревшей. Поэтому критически важно дать побегам максимально вызреть, обеспечив своевременную чеканку (прищипывание точек роста) осенью и внеся калийно-фосфорные подкормки в конце лета для улучшения одревеснения.
После обрезки и влагозарядного полива лозу необходимо снять со шпалеры. Учитывая силу роста и длину побегов, делать это следует аккуратно, чтобы не сломать многолетнюю древесину. Связанные в пучок (фашину) побеги укладывают не на голую землю, а на сухую подстилку — деревянные щиты, лапник или слой агроволокна. Это предотвращает вымокание и выпревание лозы во время осенних дождей и весенних оттепелей.
Рекомендуемые методы укрытия
Наиболее надежным для данного сорта считается метод воздушно-сухого укрытия. Он обеспечивает стабильный температурный режим и защищает от сырости.
- На уложенную лозу устанавливают каркас из дуг или деревянных щитов, создавая воздушную прослойку.
- Сверху каркас накрывают плотным агроволокном (спанбондом) с поверхностной плотностью не менее 60 г/м². Этот материал пропускает воздух, предотвращая выпревание почек.
- С наступлением устойчивых морозов (обычно при -5…-7°C днем) поверх агроволокна добавляют слой влагонепроницаемого материала, например, полиэтиленовой пленки или рубероида. Важно оставить продухи (отверстия) для вентиляции по торцам укрытия, которые окончательно закрывают только в самые сильные морозы.
- В регионах с малоснежными, но морозными зимами (юг Сибири, некоторые области Урала) поверх конструкции дополнительно насыпают слой органической мульчи: соломы, сухих листьев или елового лапника. Это усиливает теплоизоляцию.
Весной укрытие снимают постепенно, слоями, чтобы избежать солнечных ожогов на лозе и повреждения почек возвратными заморозками. Сначала убирают пленку и верхний утеплитель, оставляя лозу под легким агроволокном до окончания периода ночных заморозков.
Устойчивость сорта
Оценка устойчивости сорта Молдавский к болезням и вредителям требует взвешенного подхода. Он не относится к категории высокоустойчивых комплексных гибридов, но и не является абсолютно беззащитным. Его позиционирование как сорта со средней устойчивостью к милдью и оидиуму означает, что в благоприятные для патогенов годы без профилактических мер не обойтись.
Ключевой особенностью, усиливающей риск заболеваний, является специфика самого растения. Сильнорослый куст склонен к загущению, что создает внутри кроны микроклимат с высокой влажностью — идеальную среду для грибков. Плотная мякоть и толстая кожица ягод, являющиеся преимуществом для транспортировки, с другой стороны, могут способствовать развитию серой гнили при нарушении целостности ягоды или в условиях плохой вентиляции грозди.
Стратегия защиты от грибковых болезней
Для данного сорта эффективна исключительно профилактическая стратегия. Ожидание первых симптомов часто приводит к быстрому распространению инфекции, особенно в дождливый сезон. Программа обработок строится вокруг двух критических периодов: активного роста зеленых частей до цветения и фазы непосредственно после цветения, когда формируется завязь.
Рекомендуется чередовать контактные и системные фунгициды с разным механизмом действия, чтобы избежать резистентности у патогенов. Например, после искореняющей обработки железным купоросом по спящей почке первую по зеленому листу можно провести контактным препаратом на основе манкоцеба, а следующую — системным средством на основе триазола.
Особая бдительность требуется в отношении серой гнили. Помимо химической защиты, агротехнические меры имеют решающее значение: обязательное прореживание побегов и листьев в зоне гроздей для улучшения проветривания, своевременное удаление сорняков и контроль нагрузки урожаем. Перегруженный куст болеет чаще.
Сравнительный анализ факторов риска
Чтобы наглядно оценить слабые и сильные стороны сорта в защитном контексте, полезно рассмотреть его ключевые уязвимости в сравнении.
| Фактор риска | Устойчивость сорта Молдавский | Что это значит на практике | Критический период | Мера противодействия |
|---|---|---|---|---|
| Милдью (ложная мучнистая роса) | Средняя (3 балла) | В сырое лето без обработок листья покроются маслянистыми пятнами и белым налетом | От распускания листьев до начала созревания ягод | 2-3 профилактические обработки контактными (Ридомил Голд) и системными (Скор) препаратами |
| Оидиум (настоящая мучнистая роса) | Средняя (3 балла) | Может появиться серо-белый пыльный налет на листьях и ягодах, кожица ягод трескается | Весь сезон, особенно в жаркую сухую погоду | Обработки препаратами на основе серы (Тиовит Джет) или Топаз |
| Серая гниль | Низкая (2 балла) | В загущенных посадках и при влажной погоде ягоды буреют и покрываются серым пушистым налетом | Период созревания ягод | Нормировка урожая, прореживание гроздей, проветривание зоны плодоношения |
| Филлоксера | Неустойчив | Корневая форма вредителя может погубить куст за несколько лет | В течение всего сезона | Посадка только на филлоксероустойчивых подвоях в зонах риска |
| Осы | Сильно поражается | Сладкие, ароматные ягоды привлекают ос, которые выедают мякоть | Созревание урожая | Развешивание ловушек, защитные мешочки на грозди, уничтожение гнезд |
Данные таблицы подчеркивают, что основная задача садовода — не допустить развития грибковых инфекций, создав неблагоприятные для них условия за счет агротехники и своевременных обработок. Угроза со стороны ос и филлоксеры требует отдельных, но не менее важных мер: механической защиты гроздей и использования подвоя при посадке в регионах, зараженных корневой тлей.
Таким образом, успешное выращивание этого сорта напрямую зависит от дисциплинированного выполнения защитных мероприятий. Его урожайность и качество ягод полностью оправдывают вложенные усилия, но рассчитывать на «самостоятельность» лозы в этом вопросе не стоит.
Этапы посадки
Посадка сильнорослого и позднего сорта имеет свои нюансы. Главное — обеспечить ему максимум тепла и света для успешного вызревания урожая и лозы. Выбирайте самое солнечное, защищенное от северных ветров место на участке. У стены дома или забора с южной стороны будет идеально. Почва должна быть хорошо дренированной. На влажных, тяжелых глинистых грунтах или там, где высоко стоят грунтовые воды, корневая система будет страдать.
Подготовка места и посадочной ямы
Учитывая силу роста куста, минимальное расстояние до других растений или построек должно составлять 2-2.5 метра. Это обеспечит хорошую проветриваемость и доступ света, что критично для сорта с поздним сроком созревания. Посадочную яму готовят заранее, минимум за 2-3 недели до посадки, чтобы почва успела осесть.
- Подготовьте посадочную яму размером не менее 80×80×80 см. Такой объем нужен для создания запаса питательных веществ на первые годы и обеспечения хорошего дренажа. На дно уложите 10-15 см битого кирпича или щебня.
- Приготовьте почвенную смесь: 2 ведра перегноя, 1 ведро песка (на глинистых почвах), 0.5 кг древесной золы и 200-300 г суперфосфата. Этой смесью заполните яму примерно на 2/3, сформировав холмик.
Технология посадки и первоначальный уход
Для посадки лучше всего подходят однолетние или двухлетние саженцы с хорошо развитой корневой системой. Перед посадкой корни можно обновить, подрезав кончики, и замочить на 12-24 часа в воде или стимуляторе корнеобразования.
- Саженец установите на холмик, аккуратно расправьте корни по его склонам и засыпьте остатками обычной земли так, чтобы место прививки или корневая шейка у корнесобственного саженца оказались выше уровня почвы на 3-5 см. После полива и усадки земли они опустятся до нужного уровня.
- Обильно полейте (2-3 ведра воды), даже если земля влажная. Это обеспечит контакт корней с почвой и вытеснит воздушные пустоты. После впитывания воды замульчируйте приствольный круг торфом, перегноем или соломой слоем 5-8 см.
Сразу после посадки установите временный колышек для подвязки молодого побега. Если саженец уже имеет длинную лозу, ее следует укоротить, оставив 2-3 хорошо развитые почки. Это стимулирует рост сильных побегов из основания.
Формирование молодого куста в первый год
В первый год главная задача — вырастить один или два сильных побега. Все пасынки (боковые побеги) в пазухах листьев прищипывают, оставляя 1-2 листа. Все соцветия, если они появятся, необходимо выламывать, чтобы не ослаблять молодой куст. Полив в первый сезон должен быть регулярным, но не чрезмерным, чтобы стимулировать углубление корневой системы.
К осени эти один-два побега должны хорошо вызреть (коричневая кора, твердая древесина) и достичь длины не менее 1.5-2 метров. Именно они станут основой для будущих рукавов. Невызревшую зеленую часть верхушки перед зимовкой необходимо обрезать.
Уход за лозой
Агротехника для этого сорта строится вокруг его ключевой особенности — сильнорослости. Мощный рост требует особого внимания к формировке и нормированию, чтобы энергия куста направлялась на созревание урожая и лозы, а не на бесконтрольное развитие побегов.
Полив и влажность
Режим полива должен быть обильным, но нечастым, чтобы стимулировать развитие глубокой корневой системы. Критически важны два периода влагозарядки: за 10-14 дней до цветения и в фазе активного роста ягод, когда они увеличиваются в размере.
Полное прекращение поливов за 2-3 недели до сбора урожая — обязательное правило. Это предотвращает растрескивание плотных ягод с толстой кожицей и способствует накоплению сахаров. В регионах с дождливым концом лета необходимо обеспечить хороший дренаж.
Питание и подкормки
Схема подкормок стандартна, но дозировки, особенно азотных удобрений, требуют сдержанности. Избыток азота провоцирует чрезмерный рост побегов в ущерб закладке урожая будущего года и ухудшает вызревание древесины, что критично для сорта с поздним сроком созревания.
Весеннюю подкормку следует делать умеренно, отдавая предпочтение легкоусвояемым формам. Основной акцент делается на фосфорно-калийных удобрениях перед цветением и в период налива ягод. Органику (перегной, компост) вносят не чаще раза в 2-3 года осенью, избегая непосредственного контакта с корнями.
Формировка и обрезка
Сила роста диктует необходимость просторной формировки с большим запасом многолетней древесины. Оптимальны крупные формы: высокоштамбовые, беседочные или мощные веерные с длинными рукавами. Это позволяет правильно распределить нагрузку и избежать загущения.
Обрезку плодовых лоз проводят средне или длинно, на 8-12 глазков, так как плодоносные почки у сорта равномерно распределены по длине побега. Короткая обрезка нерациональна, так как не использует потенциал куста и может привести к потере урожая.
Летняя зелёная операция — обязательный элемент ухода. Она включает выломку двойников и бесплодных побегов в начале сезона, а также чеканку (укорачивание верхушек) сильнорослых побегов в августе. Чеканка останавливает ростовые процессы и перенаправляет питательные вещества на вызревание гроздей и лозы.
Нагрузка на куст
Для этого сильнорослого сорта с поздним сроком созревания правильное нормирование урожая — не просто рекомендация, а обязательное условие для получения заявленных крупных гроздей и своевременного вызревания лозы. Без контроля куст склонен к перегрузу, что напрямую ведет к задержке созревания, ухудшению качества ягод и снижению зимостойкости.
Поэтапная система нормировки
Управление нагрузкой проводится в несколько приемов в течение сезона. Каждый этап решает свою задачу, и пропуск любого из них снижает общую эффективность.
1. Базовая нагрузка при обрезке
Закладывается во время весенней обрезки. Учитывая силу роста, плодовые стрелки обрезают на 6-8 глазков. Для взрослого, хорошо развитого куста общее количество оставленных глазков не должно превышать 35-45. Это отправная точка, которая будет корректироваться в дальнейшем.
2. Корректировка зелеными операциями
После начала вегетации и появления соцветий нагрузку уточняют.
- Обломка. Удаляют слабые, бесплодные и двойные побеги, растущие из одного узла. На плодовом звене оставляют 1-2 самых сильных зеленых побега.
- Нормировка соцветиями. Это критически важный этап именно для Молдавского. На каждом плодоносном побеге необходимо оставить только одну, наиболее развитую гроздь. Второе соцветие, даже если оно есть, удаляют. Это правило — залог получения гроздей весом 400-1000 граммов.
3. Чеканка для завершения сезона
В середине августа, когда рост побегов замедляется, проводят чеканку — удаление верхней части побега на 30-40 см. Для позднего сорта эта операция особенно актуальна, так как помогает перенаправить питательные вещества от роста побегов к наливу ягод и вызреванию древесины, что принципиально важно для успешной зимовки.
Соблюдение этой поэтапной системы гарантирует, что мощный куст будет работать не на количество, а на качество урожая. Лоза успеет полноценно вызреть и подготовиться к зиме, а грозди раскроют свой потенциал по размеру и вкусу.
Особенности уборки
Поздний срок созревания, составляющий около 140 дней, является ключевым фактором, определяющим специфику уборки этого сорта. В регионах с коротким теплым периодом существует риск, что урожай не успеет достичь полной физиологической зрелости до наступления осенних холодов. Поэтому планирование сроков сбора становится критически важным.
Определение оптимальной зрелости
Основной признак готовности — не только внешний вид. Темно-синие ягоды с густым восковым налетом могут приобрести характерный цвет еще до полного созревания. Решающим критерием является вкус. Травянистые нотки должны полностью уступить место гармоничному, сладкому вкусу, а плотная мякоть — стать сочной и хрустящей. Толстая кожица в зрелом состоянии становится более съедаемой.
Для объективной оценки можно использовать портативный рефрактометр. Показатели сахаристости в 168-180 г/дм³ и кислотности 6-7 г/дм³, указанные в характеристиках сорта, являются надежным ориентиром. Достижение этого баланса — сигнал к началу уборки.
Техника сбора и влияние погоды
Уборку проводят исключительно в сухую погоду. Влажные ягоды после дождя или утренней росы склонны к растрескиванию и быстрой порче. Для срезания гроздей используют острый секатор, беря кисть за гребненожку (плодоножку).
Крайне важно сохранить целостность обильного воскового налета (пруина) на ягодах. Он является естественным барьером от микроорганизмов и испарения влаги, что напрямую влияет на лежкость и транспортабельность урожая. Нельзя брать ягоды руками, сминать или перекладывать грозди из емкости в емкость.
Плотность грозди может варьироваться от рыхлой до средней в зависимости от условий опыления. Более рыхлые кисти меньше подвержены гнилям, их сбор проще. При уборке плотных гроздей требуется особая аккуратность, чтобы не повредить прилегающие друг к другу ягоды.
Учитывая высокую массу гроздей (от 400 до 1000 граммов), для сбора используют просторную тару с гладкими стенками, например, неглубокие пластиковые ящики или корзины. Это минимизирует механические повреждения и потерю товарного вида.
Как хранить
Поздний срок созревания, толстая кожица и плотная хрустящая мякоть — ключевые особенности, которые определяют выдающуюся лежкость этого столового сорта. При грамотной организации грозди могут сохранять товарный вид и вкусовые качества до 3-4 месяцев, а гармоничный вкус часто становится более насыщенным через несколько недель после сбора.
Подготовка гроздей к закладке
Успех длительного хранения напрямую зависит от качества исходного материала. Для закладки подходят только абсолютно здоровые, целые грозди, собранные в стадии полной физиологической зрелости. Недозревшие или перезревшие кисти долго не пролежат.
Срезайте гроздь обязательно с частью плодоножки (5-7 см). Этот «хвостик» нужен не только для подвешивания, но и как дополнительный барьер против проникновения микроорганизмов. После срезки нельзя брать кисти за ягоды, только за этот черенок или гребень.
Тщательная сортировка — обязательный этап. Каждую ягоду необходимо осмотреть при хорошем освещении. Все подозрительные, с малейшими вмятинами, трещинами или пятнами ягоды нужно аккуратно удалить. Для этого используют маникюрные ножницы с закругленными концами, чтобы случайно не проколоть кожицу соседних плодов.
Способы и условия хранения
Существует два основных проверенных метода, оба эффективны для этого сорта благодаря прочному гребню и плотному прикреплению ягод.
- Подвесной способ. Грозди развешивают за оставленный черенок на натянутую проволоку, веревку или деревянные рейки так, чтобы они не соприкасались друг с другом. Это обеспечивает идеальную вентиляцию со всех сторон.
- Укладка в тару. Кисти укладывают в один слой гребненожками вверх в неглубокие деревянные или пластиковые ящики с щелями. Дно застилают чистой бумагой, сухим мхом или мягкой соломой.
Критически важны стабильные параметры микроклимата. Оптимальная температура хранения — от 0 до +2°C. При таких значениях замедляются все биохимические процессы, но ягоды не подмерзают. Влажность воздуха должна поддерживаться на уровне 85-95%. Более сухой воздух приводит к усыханию ягод и плодоножек, а избыточная влажность провоцирует развитие плесени.
Контроль во время хранения
Даже при идеальных условиях необходим регулярный осмотр. Примерно раз в 2-3 недели просматривайте каждую гроздь. Все ягоды, которые начали терять тургор, сморщиваться или показывают признаки гнили, нужно немедленно удалять. Одна испортившаяся ягода может быстро привести к потере всей кисти.
При соблюдении этих правил, основанных на физиологических особенностях сорта, вы сможете наслаждаться свежим виноградом долгое время после окончания сезона сбора урожая.
Вкус, аромат и применение
Гармоничный вкус этого сорта — его визитная карточка. Он формируется за счет классического баланса между высокой сахаристостью (168-180 г/дм³) и умеренной кислотностью (6-7 г/дм³). В отличие от многих популярных гибридов, в его вкусовом профиле отсутствуют выраженные мускатные, ягодные или фруктовые ноты.
Вместо этого вы ощутите чистый, насыщенный вкус виноградной ягоды с приятной сладостью и легкой, освежающей кислинкой в послевкусии. Именно эта сбалансированность делает его идеальным для свежего потребления, особенно для тех, кто ценит традиционный виноградный вкус без сложных ароматических оттенков.
Кулинарное применение
Плотная, хрустящая мякоть и толстая, прочная кожица открывают широкие возможности для использования в кулинарии. Ягоды не теряют форму при термической обработке, что особенно ценно.
- Свежее потребление и десерты. Крупные, эффектные ягоды прекрасно смотрятся в фруктовых нарезках и являются отличным украшением для тортов и пирожных. Их нейтральный, но насыщенный вкус хорошо сочетается с другими фруктами и сырами.
- Заготовки. Сорт считается одним из лучших для приготовления варенья, джема и компотов. Ягоды не развариваются, сохраняя целостность, а гармоничный вкус обеспечивает результат без необходимости сложной корректировки сахара и кислоты.
- Домашнее виноделие. Хотя Молдавский — типичный столовый сорт, его химический состав позволяет получать крепкие, полнотелые вина для домашнего потребления. Однако из-за отсутствия яркого аромата такие вина редко обладают сложным букетом.
Товарные качества и хранение
Универсальность сорта подкрепляется его выдающейся лежкостью и транспортабельностью. Прочная кожица надежно защищает плотную мякоть от механических повреждений. После сбора грозди могут долго храниться, постепенно набирая сахар, при этом вкус остается стабильным, без появления травянистых или водянистых оттенков.
Эта особенность, наряду с эффектным внешним видом крупных гроздей, исторически сделала сорт одним из лидеров на позднеосеннем и раннезимнем рынке свежего винограда.
















