Виноград «Каберне Кортис» — современный немецкий гибрид, который привлекает виноградарей своей надежностью. Этот технический сорт раннего срока созревания сочетает высокую устойчивость к болезням с хорошей урожайностью. В статье разберем его особенности, сильные стороны и нюансы выращивания.
История появления сорта
Этот технический сорт является продуктом целенаправленной селекционной программы, ответом на конкретные климатические и фитопатологические вызовы. Его создание связано с деятельностью Государственного института виноградарства во Фрейбурге (Германия) — учреждения с богатой историей в области выведения комплексно-устойчивых гибридов.
Автор и цели селекции
Автором сорта является известный немецкий селекционер Норберт Бекер. Работа велась с четкой прагматичной целью: получить виноград для производства качественных вин, который был бы максимально избавлен от главной проблемы виноградарей в прохладном и влажном климате — высокой зависимости от обработок против грибковых болезней.
Именно поэтому в характеристиках сорта заявлена высокая устойчивость к грибковым заболеваниям. Это ключевое качество было не побочным эффектом, а основной задачей, что делает Каберне Кортис типичным представителем современного направления селекции, ориентированного на экологизацию виноградарства.
Генетическое наследие и ниша
Сорт унаследовал свои лучшие качества от родительских форм. Он сочетает в себе генетический материал, обеспечивающий ранний срок созревания (что критично для регионов с коротким вегетационным периодом) и сложный вкусо-ароматический потенциал, ценный для виноделия.
Такое сочетание — раннеспелость, техническое назначение и высокая устойчивость — позволило сорту занять нишу так называемых «пионерных» или адаптивных гибридов. Эти сорта открывают возможности для надежного виноградарства и виноделия в зонах, ранее считавшихся слишком рискованными для выращивания классических европейских разновидностей (Vitis vinifera) без интенсивной химической защиты.
Появление Каберне Кортиса стало частью общего тренда в европейской селекции конца XX — начала XXI века, направленного на создание сортов, снижающих агрохимическую нагрузку на виноградник и позволяющих производить вина с выраженной сортовой индивидуальностью.
Информация о сорте
Этот технический сорт, созданный для переработки, обладает рядом характеристик, которые делают его агротехнику предсказуемой и относительно несложной. Понимание этих параметров позволяет сразу оценить его потенциал и требования.
Ключевые параметры и их значение
Следующая таблица систематизирует основные характеристики сорта, раскрывая их практический смысл для виноградаря.
| Характеристика | Значение | Практический смысл для садовода |
|---|---|---|
| Назначение | Технический | Виноград для переработки (вино, сок), а не для еды с куста. Ягоды обладают типичным для технических сортов высоким содержанием сока и красящих веществ, но могут иметь простой или травянистый вкус в свежем виде. |
| Срок созревания | Ранний | Урожай успеет набрать сахар и фенольную зрелость даже в регионах с коротким и нежарким летом, например, в Северо-Западном регионе или средней полосе России. Это снижает риски, связанные с ранними осенними заморозками. |
| Сила роста | Среднерослый | Куст не склонен к чрезмерному росту, что упрощает формировку и контроль нагрузки. Это также облегчает укрытие лоз на зиму в холодных регионах. |
| Урожайность | 130-160 ц/га | Показатель указывает на стабильную и предсказуемую отдачу с участка при промышленном выращивании. В условиях любительского сада урожайность будет зависеть от конкретной формировки, нагрузки и агрофона. |
| Устойчивость к грибковым болезням | Высокоустойчив | Сорт обладает генетической устойчивостью к основным грибковым патогенам (милдью, оидиум). Это позволяет значительно сократить количество профилактических обработок фунгицидами, что важно для минимизации затрат и ведения экологического виноградарства. |
Указанная высокая устойчивость к грибковым заболеваниям является ключевой особенностью сорта, полученной в результате селекционной работы. Она напрямую влияет на сложность ухода, делая его доступным для начинающих виноградарей.
Происхождение и селекционная ценность
Сорт был создан известным немецким селекционером Норбертом Бекером в Государственном институте виноградарства во Фрайбурге. Его работа была направлена на получение технических сортов, сочетающих раннее созревание, высокое качество виноматериала и комплексную устойчивость к болезням.
Каберне Кортис является ярким представителем этого направления. Ранний срок созревания и высокая устойчивость делают его надежным выбором для зон рискованного виноградарства, где традиционные «классические» сорта могут не успевать вызревать или требуют интенсивной химической защиты.
Описание внешнего вида
Визуально этот гибридный сорт демонстрирует классический облик технического винограда, где функциональность преобладает над декоративностью. Кусты характеризуются средней силой роста, что формирует гармоничный, не чрезмерно раскидистый габитус. Такая особенность облегчает уход и формировку, особенно в условиях ограниченного пространства.
Грозди и их структура
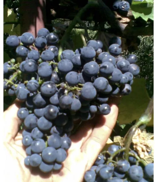
Грозди имеют средний размер, а их главная отличительная черта — неплотная, рыхлая структура. Это не является селекционным просчетом, а, напротив, целенаправленное преимущество. Благодаря свободному расположению ягод внутри кисти достигается отличная воздухопроницаемость.
Такая структура минимизирует контакт и сдавливание ягод, что критически важно для предотвращения развития очагов серой гнили и других грибковых инфекций, особенно в периоды высокой влажности во время созревания урожая.
Характеристики ягод
Ягоды округлой формы, некрупные, что типично для винных сортов. По мере созревания их окраска эволюционирует от фиолетовой до глубокого, почти черного оттенка с характерным сизым восковым налетом (пруином).
Кожица отличается повышенной прочностью и плотностью. Это важный технологический признак, который не только защищает ягоду от растрескивания при перепадах влажности, но и способствует более эффективной экстракции красящих и дубильных веществ во время переработки, что напрямую влияет на цвет и структуру будущего вина.
Листовой аппарат и общий вид
Листья среднего размера, с типичной для винограда формой, обеспечивают хорошую фотосинтетическую активность. Однако сорт склонен к активному образованию пасынков и может загущаться. Поэтому поддержание оптимальной освещенности и проветриваемости кроны за счет своевременной обломки и чеканки является обязательным агротехническим приемом для него.
В целом, растение производит впечатление сбалансированного и выносливого. Его внешний вид четко указывает на специализацию: вся энергия направлена не на размер кисти или ягоды, а на накопление в них комплекса веществ, необходимых для производства качественного виноматериала.
Зимостойкость и устойчивость
Гибридная форма демонстрирует комплексную устойчивость, что является результатом целенаправленной селекции. Ее ключевой особенностью, как указано в технических характеристиках, является высокая устойчивость к грибковым болезням. Это качество кардинально меняет подход к защите насаждений.
Устойчивость к болезням: практические нюансы
Высокая устойчивость к милдью и оидиуму означает, что сорт обладает генетически закрепленной способностью подавлять развитие патогенов. На практике это позволяет перейти от регулярного календарного опрыскивания к системе мониторинга и целевых обработок. В регионах с сухим и теплым летом профилактические обработки могут не потребоваться вовсе.
Однако в зонах рискованного виноградарства, например, при продолжительных дождях и высокой влажности воздуха, риск инфицирования возрастает. Наиболее уязвимыми фазами являются цветение и начало созревания ягод, когда ткани растения наиболее восприимчивы.
Для защиты в неблагоприятных условиях предпочтение стоит отдавать щадящим средствам: биологическим препаратам или медьсодержащим фунгицидам контактного действия. Это позволяет сохранить преимущества сорта как более экологичного в выращивании по сравнению с классическими «каберне».
Зимостойкость и требования к укрытию
Морозостойкость данной формы оценивается как средняя, что характерно для многих технических гибридов европейской селекции. Кусты способны переносить кратковременные понижения температуры примерно до -20 … -22 °C, но гарантированная сохранность плодовых почек (глазков) требует укрытия в большинстве регионов России.
Решение об обязательности укрытия принимается исходя из климатических данных конкретной местности. В традиционных винодельческих регионах (Краснодарский край, Крым) зимовка в неукрывной культуре возможна, но сопряжена с риском повреждения в малоснежные или экстремально холодные зимы.
В Средней полосе, Подмосковье, Северо-Западе укрытие является обязательным агроприемом. Его проводят после осенней обрезки и влагозарядного полива. Лозу снимают со шпалеры, связывают, пришпиливают к земле и укрывают агротканью, лапником или другими воздухопроницаемыми материалами. Важно избежать выпревания почек во время зимних оттепелей.
Посадка, уход и обрезка
Агротехника этого гибрида в целом следует классическим принципам, однако его генетические особенности — среднерослость, высокая устойчивость к болезням и техническое назначение — вносят важные коррективы в стандартные процедуры. Понимание этих нюансов позволяет полностью раскрыть потенциал сорта.
Особенности посадки
Выбор места остается ключевым: необходим максимально солнечный и защищенный от холодных ветров участок. Благодаря заявленной высокой устойчивости к грибковым заболеваниям, кусты можно размещать с несколько меньшими интервалами, чем для восприимчивых сортов, что экономит площадь. Однако для обеспечения качественного проветривания и освещения гроздей оптимальным считается расстояние между растениями в ряду 1,2-1,5 метра.
Подготовка посадочной ямы глубиной и шириной 70-80 см стандартна. На дно укладывают дренаж, а питательную смесь готовят на основе перегноя, древесной золы и суперфосфата. Эти элементы обеспечат саженец необходимыми веществами для успешного старта.
Специфика ухода
Режим полива и питания должен учитывать, что это технический сорт, чья цель — не максимальный размер ягоды, а накопление в них сахаров и ароматических соединений. Основные поливы проводят весной и в первой половине лета для поддержания активного роста. За 2-3 недели до ожидаемого сбора урожая полив полностью прекращают. Умеренный водный стресс в этот период благоприятно сказывается на качестве будущего виноматериала.
С подкормками важно соблюдать баланс. Весеннее внесение азотных удобрений должно быть умеренным, так как избыток азота при средней силе роста куста спровоцирует буйное развитие зеленой массы в ущерб закладке урожая и вызреванию лозы. Акцент делают на калийно-фосфорных подкормках перед цветением и в период налива ягод.
Стратегия обрезки и зеленых операций
Обрезка — один из самых важных элементов управления сортом. Растение плодоносит на побегах, выросших из глазков на вызревшей лозе прошлого года. Работу проводят осенью после листопада или ранней весной до начала сокодвижения.
Рекомендуется средняя обрезка плодовых стрелок на 6-8 глазков. Обязательно оставляют сучок замещения, обрезанный на 2-3 глазка, для формирования плодовой стрелки на следующий сезон. Из-за среднерослости важно не перегружать куст. Для взрослого, хорошо развитого растения общее количество оставленных глазков после обрезки должно составлять 25-35, в зависимости от выбранной формировки и состояния куста.
Защита от вредителей и болезней
Высокая устойчивость к грибковым заболеваниям, заявленная в характеристиках сорта, действительно является его сильной стороной. Это означает, что такие распространенные болезни, как милдью (ложная мучнистая роса) и оидиум (мучнистая роса), представляют минимальную угрозу даже в неблагоприятные годы. Однако полный отказ от внимания к фитосанитарному состоянию виноградника был бы ошибкой.
Акцент на профилактике серой гнили
Основной биологической особенностью, требующей контроля, является склонность к поражению серой гнилью (Botrytis cinerea) в условиях повышенной влажности. Ранний срок созревания ягод часто совпадает с теплыми, но дождливыми периодами конца лета. Неплотная гроздь, вопреки расхожему мнению, не всегда гарантирует полную защиту от гнили, если вокруг создается застойный влажный микроклимат.
Ключевые профилактические меры носят исключительно агротехнический характер и направлены на улучшение проветривания зоны расположения гроздей:
- Своевременная чеканка. Удаление точек роста побегов в августе останавливает их бурный рост и перенаправляет питательные вещества к гроздям, одновременно открывая куст для света и воздуха.
- Прореживание листьев в зоне гроздей. За 2-3 недели до сбора урожая целесообразно удалить часть листьев вокруг кистей, особенно те, что затеняют и закрывают их от ветра. Делать это нужно умеренно, чтобы не вызвать солнечных ожогов на ягодах.
- Контроль нагрузки куста. Перегруженный куст с большим количеством гроздей созревает дольше, а ягоды имеют более тонкую кожицу, что повышает риск растрескивания и последующего загнивания. Нормирование урожая в соответствии с силой роста куста — базовая профилактическая мера.
- Сбор растительных остатков. Осенью необходимо тщательно убирать и уничтожать опавшие листья и мумифицированные ягоды, которые являются источником инфекции на следующий год.
При соблюдении этих условий необходимость в химических обработках против серой гнили у этого сорта возникает крайне редко. В случае затяжных дождей в период созревания в качестве превентивной меры может быть рассмотрено применение биологических препаратов на основе сенной палочки (Bacillus subtilis) или триходермы.
Потенциальные вредители и методы защиты
Иммунитета к насекомым у сорта нет, поэтому основные риски связаны с типичными для культуры вредителями.
Листовертки
Гроздевая и виноградная листовертки могут повреждать бутоны, завязи и ягоды, оплетая их паутиной и создавая ворота для инфекции, в том числе для серой гнили. Для мониторинга и снижения численности популяции эффективно использование феромонных ловушек. Они отлавливают самцов, что нарушает процесс размножения. При обнаружении значительного количества гусениц применяют инсектициды, строго соблюдая сроки ожидания до сбора урожая, указанные в инструкции.
Осы и птицы
Сладкие, ароматные ягоды в период созревания активно привлекают ос и птиц. Механическая защита является самым безопасным и эффективным способом. Отдельные грозди можно поместить в специальные сетчатые мешочки из агротекстиля с мелкой ячейкой. Для защиты всего куста используют укрывные сетки, которые набрасывают на шпалеру.
Филлоксера
Это самый опасный карантинный вредитель винограда. Как сорт европейского вида Vitis vinifera, Каберне Кортис крайне восприимчив к корневой форме филлоксеры, которая приводит к гибели куста за несколько лет. Единственной надежной мерой защиты является посадка привитого саженца на филлоксероустойчивый подвой. Этот пункт не подлежит обсуждению для регионов, где филлоксера присутствует в почве. Саженцы на собственных корнях допустимы только в изолированных зонах, свободных от вредителя, например, на некоторых песчаных почвах.
Общая стратегия защиты этого гибрида строится не на регулярных химобработках, а на грамотной агротехнике, создающей неблагоприятные условия для развития болезней, и на механических методах борьбы с вредителями. Это делает сорт привлекательным для выращивания с минимальным применением пестицидов.
Урожай: когда собирать и как использовать
Определение оптимального момента сбора для этого технического сорта — ключевой этап, напрямую влияющий на качество будущего вина. Ранний срок созревания, указанный в характеристиках, означает, что ягоды достигают физиологической зрелости одними из первых в сезоне. Однако для виноделия важна не просто зрелость, а баланс между накопленным сахаром и кислотностью.
Определение оптимальной зрелости
Визуальный признак — равномерное фиолетовое окрашивание ягод — является лишь первым сигналом. После его наступления наступает так называемая «техническая» зрелость, но сбор часто целесообразно отложить. В течение последующих 7-14 дней происходит важный процесс: сахаристость продолжает медленно расти, а содержание кислот (в первую очередь яблочной) заметно снижается. Это смягчает вкус и делает его более округлым.
Для точного определения момента сбора рекомендуется использовать рефрактометр для измерения сахаристости (в градусах Brix) и титрование для оценки кислотности. Ориентировочным признаком служит и вкус ягод: исчезновение выраженной травянистой кислотности и появление более мягких тонов темных ягод.
Особенности сбора и хранения урожая
Среднерослость кустов и неплотная структура грозди упрощают сбор. Ягоды не склонны к растрескиванию, а благодаря прочной кожице они меньше повреждаются. Собирать урожай лучше в сухую погоду, утром, после испарения росы. Указанная урожайность в 130-160 ц/га предполагает, что с куста получают умеренное количество гроздей, что положительно сказывается на концентрации вкуса в ягодах.
Собранный урожай, благодаря фиолетовой, богатой антоцианами кожице, хорошо переносит кратковременное хранение. Грозди можно разместить в неглубоких ящиках в один слой и оставить в прохладном, проветриваемом помещении (при температуре +5…+10 °C) на несколько недель. Это позволяет перерабатывать урожай партиями без риска быстрой порчи.
Основные направления переработки
Как технический сорт, Каберне Кортис раскрывает свой потенциал именно в переработке, а не в свежем потреблении.
- Виноделие. Это главное назначение. Вина получаются насыщенного рубиново-фиолетового цвета с ароматикой черной смородины, черники, иногда с легкими оттенками зеленого перца или мяты. Высокая естественная устойчивость к грибковым болезням позволяет минимизировать обработки в винограднике, что способствует получению более чистого сырья. Вина могут быть полнотелыми и танинными, хорошо подходят для выдержки в бочке. Сорт часто используют в купажах, где он обеспечивает цвет, кислотность и структуру.
- Соки, морсы, безалкогольные напитки. Для приготовления сока ягоды желательно дробить вместе с мезгой для экстракции красящих веществ, а затем прогревать. Получается интенсивно окрашенный, терпкий напиток, который часто купажируют с более сладкими соками.
- Домашние заготовки. Из ягод получаются отличные желе, сиропы и виноградный уксус благодаря высокому содержанию кислот и пектинов. Плотная кожица и небольшой размер ягод делают сорт не самым удобным для цельноплодного варенья.
Для свежего употребления сорт малопригоден из-за выраженной кислотности, терпкости и плотной кожицы, что является типичным для многих технических разновидностей.














