Родина — название среднеспелого сорта тёмноокрашенного винограда. Садоводы его ценят за хорошую урожайность и гармоничный вкус. Выращивают для приготовления консервированных заготовок (сока, джема, компота) и свежего потребления. Он популярен, несмотря на повышенную требовательность в уходе и подверженность поражению грибковыми болезнями.
История селекции
Столовая разновидность культуры появилась на свет благодаря стараниям российских учёных, представляющих ВНИИВиВ имени Я. И. Потапенко. Для её получения они осуществили скрещивание Северного с Мускатом александрийским. Им удалось привить новинке высокую урожайность и хорошие вкусовые качества.
Где можно выращивать?
Детище отечественных селекционеров предназначено для возделывания на территории РФ, в таких регионах страны:
- южных;
- центральных.
Виноградари с успехом его культивируют и в климатических условиях Дальнего Востока.
Куст
Растения сорта Родина среднерослы. Они имеют вид рыхлых кустов, обладающих такими внешними характеристиками:
- побегами: тонкими, отличающимися сочленённым строением, вырастающими в длину на 3-5 м;
- листьями: образующимися в каждом узле, поочерёдно расположенными, характеризующими средней величиной, пятилопастными, мелкорезными, матовыми и морщинистыми снаружи, лишёнными опушения с обратной стороны, с небольшими щетинками у прожилок.
Соцветиям свойственно появляться на стеблях в нижних узлах, а в верхних образуются усики. С помощью последних лоза крепится к опоре (колу, шпалере, дереву).
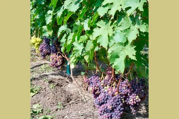
Грозди и ягоды
Культура столового сорта склонна к перегрузке урожаем. Её лозы в пору плодоношения буквально увешаны гроздьями, описание которых включает в себя такие показатели:
- форму — узкоконическую;
- размер — средний или крупный;
- массу — 190-380 г;
- длину — 18,9 см;
- ширину — 11,5 см;
- строение — среднеплотное.
У винограда Родина есть склонность к горошению. Оно наблюдается при перегруженности побегов плодами или как следствие нарушения температурного режима в фазе цветения.
Ягоды отличаются средней величиной и тёмной окраской. Их внешние данные таковы:
- вес — от 2,8 г до 5 г;
- цвет — красновато-фиолетовый или чёрный;
- форма — округлая;
- кожица: тонкая, не очень прочная, с восковым налётом, во время употребления в пищу не ощущается;
- мякоть: сочная, лишённая мускатного аромата, с 2-3 косточками внутри, содержащая в себе до 18% сахаров, 0,8-1% кислот, 18,7% сухих веществ.
Дегустационные качества плодов Родины хорошие. Им присущ гармоничный, но простой вкус, сладкий с кислинкой. Его оценка — 8 баллов.
Характеристики сорта
Детищу российских селекционеров присущи как положительные, так и отрицательные свойства. Ознакомьтесь с ними перед тем, как заняться его выращиванием на своём приусадебном участке.
Опыление, период цветения и плодоношение
Садовая культура вступает в фазу бутонизации в середине первого месяца лета. Она даёт обоеполые цветки в такие сроки:
- начало цветения — после 10 июня;
- завершение — до 18-20 июня.
Показатель продолжительности периода от раскрытия почек до созревания плодов составляет 117-125 дней. Коэффициент плодоноскости — 0,7-0,8.
Продуктивность и сроки созревания
Родина — представитель среднеспелых видов винограда. Распускание почек у него происходит в тот же временной отрезок, что и у Алиготе, Жемчуга Саба. Он отдаёт урожай в первой половине сентября (на 8-10 дней раньше, чем сорт Шасла). Сроки сбора спелых гроздьев — с 5 по 14 число первого месяца осени.
Культура считается высокоурожайной, но стабильной продуктивностью она похвалиться не может. Показатель резко снижается из-за неблагоприятных погодных условий. Его значения таковы:
- 2,0 кг — минимальное количество плодов, которое даёт 1 куст (наблюдается в неурожайные годы);
- 7 кг/куст — максимальный показатель урожайности;
- до 22000 кг с 1 га виноградной посадки — верхний предел продуктивности сорта при его промышленном возделывании (достигается при хорошем уходе и благоприятных погодных условиях).
Засухоустойчивость и морозостойкость
Выносливостью культура не наделена. Она не обладает хорошей переносимостью засухи и низких температур. Показатель её морозостойкости — до -18°С. Даже при возделывании Родины с умеренном климате лоза требует качественного утепления на зиму, а также защиты от вымокания при оттепели.
Негативно сказывается на холодостойкости кустов их перегрузка ягодными гроздьями, запоздалый сбор урожая — факторы, снижающие жизненную силу побегов.
Область применения и лёжкость
Из-за плохой транспортабельности ягод сорта Родина и их невысокой способности к хранению виноградари стараются как можно быстрее переработать собранный урожай. Он хорош и в свежем виде, поскольку приносит немало пользы здоровью.
Пищевая ценность
Тёмный виноград — ценный пищевой продукт. Показатель его калорийности составляет 65 ккал/100 г. Он богат антиоксидантами, благодаря которым оказывает омолаживающее воздействие на организм и защищает его клетки от повреждения свободными радикалами.
Сочные ягоды содержат в себе много полезных веществ:
- витаминов, в частности С (16,4-20,3 мг/100 г), группы В, К, каротина;
- натуральных сахаров (до 18%);
- органических кислот, в частности винной и яблочной;
- пектинов;
- эфирных масел;
- ферментов;
- минералов (особенно много в винограде содержится калия, железа, марганца, меди).
Применение в кулинарии
Главное назначение урожая сорта Родина — столовое. Его выращивают для употребления в пищу в свежем виде, для переработки и консервирования. Сочные кисло-сладкие ягоды сами по себе считаются замечательным десертом. Их можно подавать к столу целыми гроздьями.
Они хорошо сочетаются со многими продуктами:
- дарами сада (в качестве ингредиента фруктового салата или в общей вазе с персиками, грушами);
- сыром;
- овощами;
- мясом (из виноградных гроздей можно сделать отличный соус к мясным блюдам).
Из спелых ягод хозяйки готовят разные лакомства: варенье, джем, мармелад, желе, сироп. Их маринуют, консервируют на зиму в виду компота, перерабатывают в сок, подвергают сушке и заморозке. Применяют в виноделии.
Из тёмного винограда получается отличный изюм — вкусная и полезная сладость. Её едят без какой-либо обработки или добавляют в выпечку, в каши. На её основе делают вкусную пасту с мёдом, орехами, черносливом и курагой.
Применение в медицине и косметологии
Особенно полезно употребление урожая Родины в пищу свежем виде. Термическая обработка разрушает львиную долю витаминов и других ценных веществ, которыми богаты ягоды. Если вы хотите получить целебные эффекты от этого натурального лакомства, ешьте его сразу после съёма с лозы.
Включение тёмного винограда в осенний рацион питания способствует общему оздоровлению организма. Продукт имеет такие полезные свойства:
- тонизирующее;
- укрепляющее иммунитет;
- нормализующее протекание обменных процессов;
- антиоксидантное;
- обеспечивающее выведение токсинов;
- противовоспалительное;
- расширяющее сосуды и нормализующее кровяное давление;
- препятствующее образованию тромбов;
- снижающее уровень плохого холестерина в крови;
- стабилизирующее нервную систему;
- стимулирующее выработку желудочного сока;
- улучшающее работу ЖКТ;
- способствующее кроветворению.
Лакомиться спелыми ягодами полезно людям, страдающим от истощения, хронической усталости, стресса и депрессивных состояний. Они улучшают состояние больного при малокровии, туберкулёзе, бронхите, астме, тахикардии, гипертонии, мигрени. Помогают решить проблему вялого кишечника, избавиться от запоров.
Богатый антиоксидантами продукт нашёл применение в косметологии. Из виноградин можно делать омолаживающие, увлажняющие и питательные маски для кожи лица и декольте. Сок, выдавленный из плодов Родины, стимулирует выработку коллагена, помогает бороться с морщинами, веснушками и пигментными пятнами.
Противопоказания
Несмотря на многие целебные свойства, тёмный виноград можно есть не всем. Он имеет ряд противопоказаний к употреблению в свежем виде. Воздержаться от сладкой терапии стоит людям, страдающим от болезней:
- сахарного диабета;
- энтероколита;
- цирроза печени;
- язвенной болезни, других острых и хронических заболеваний ЖКТ (например, гиперацидного гастрита);
- ожирения;
- стоматита;
- аллергии на этот продукт.
Особенности хранения
Хорошей лёжкостью и транспортабельностью сорт Родина похвалиться не может из-за тонкой кожицы, покрывающей сочную мякоть. Если вы хотите оставить часть урожая для хранения, отберите и целые упругие ягоды, не имеющие трещин и других дефектов. Постарайтесь сохранить восковый налёт, который их покрывает.
В специально оборудованной холодильной камере виноградные грозди смогут сохранять свою свежесть в течение 2-4 недель.
Посадка
Виноград Родина требует соблюдения правил агротехники культуры для получения богатого урожая и поддержания здоровья лозы. Особое внимание уделите грамотному проведению посадки, от которого зависит приживаемость растения на участке и его дальнейшее развитие.
Рекомендуемые сроки
Выполняйте посадочные работы весной или в начале лета. Более точные сроки их проведения зависят от особенностей самого саженца:
- с середины апреля до 15 мая — для одревесневших растений (их выращивают в течение летнего сезона, а осенью выкапывают и хранят в погребе до весны);
- после 20 мая до 10-15 июня — для вегетативного посадочного материала (он был посажен весной, продаётся в контейнерах, характеризуется зелёными побегами, боится заморозков).
Выбор подходящего места
Под виноградную лозу сорта Родина отведите в своём саду подходящий участок. Выберите место, отвечающее таким требованиям:
- защищённое от ветра и сквозняка;
- солнечное;
- находящееся на возвышенности;
- без застоя влаги и близкого залегания грунтовых вод;
- расположенное на южном или юго-западном склоне;
- хорошо дренированное (для исключения риска загнивания корней).
В отношении почв виноград Родина не особо требователен. Наилучшие результаты даёт его возделывание на лёгкой, рыхлой, воздухо- и влагопроницаемой земле (супесчаной, суглинистой). Противопоказан сорту тяжёлый, очень плотный, кислый грунт с pH меньше 5.
Соседство и севооборот
На развитие и плодоношение виноградных лоз влияют садово-огородные культуры, выращиваемые рядом с ними. Учтите этот момент при планировании посадки. Благоприятно сказывается на здоровье и продуктивности растения его соседство с этими обитателями грядок:
- свёклой;
- луком;
- чесноком;
- горчицей;
- укропом;
- редисом;
- шпинатом;
- бобовыми (горохом, соей, фасолью).
Допустимо выращивать Родину на клумбе либо у стены загородного дома. Вблизи вы можете посадить цветы: астры, флоксы, анютины глазки, незабудки, гиацинты, маки.
Во избежание проблем при культивировании столового сорта не располагайте его насаждения рядом с такими культурами, как:
- перец;
- картофель;
- сельдерей;
- кукуруза;
- баклажаны.
Придерживайтесь норм севооборота на своём приусадебном участке, чтобы свести к минимуму риск заболеваемости виноградной лозы. Не возделывайте её там, где ранее находились посадки растений, сильно истощающих почву (например, подсолнечника).
Лучшими предшественниками для Родины считаются бобовые. Они улучшают структуру земли, насыщают её питательными элементами.
Выбор и подготовка посадочного материала
Приобретайте саженцы столового сорта в специализированном питомнике, а не на рынке у непроверенного продавца. Черенки не очень хорошо приживаются (50-72%). Отдайте предпочтение саженцу с листьями (это верный признак того, что он живой).
К посадке винограда приступайте сразу же после его покупки, чтобы слабые корни не успели высохнуть. Для одревесневших экземпляров проведите подготовительную работу, включающую в себя такие процедуры:
- обрезку до 2-3 почек;
- укорачивание корневых отростков до 15 см.
Если вы приобрели вегетативный материал, сохраните целым земляной ком, в котором находится пока ещё слабая подземная часть растения.
Алгоритм посадки
Схема посадки культуры определяется типом шпалер, на которых вы будете её выращивать. Оптимальный вариант, который считается наиболее простым и удобным — применение плоских вертикальных опор. Следуйте схеме:
- расстояние между рядами — 2 м;
- между кустами — 3 м.
Виноград высаживайте в заранее подготовленную яму (её размеры —80х80х80 см). Выполняйте такую последовательность действий:
- Выложите дно углубления слоем дренажа: керамзита, гальки, битого кирпича.
- В центральной его части установите опору.
- Добавьте удобрения: перегной или перепревший навоз, Суперфосфат, калийную соль, древесную золу.
- Поверх насыпьте садовую землю.
- Полейте посадочную яму.
- Разместите в ней саженец. Расправьте его корневую систему.
- Засыпьте лунку землёй. Отслеживайте, чтобы место прививки растения возвышалось на 2 см над уровнем грунта.
- Уплотните землю вокруг ствола.
- Замульчируйте приствольный круг сеном или опилками.
Последующий уход за виноградом
Обеспечьте виноградным лозам Родины хорошие условия произрастания на вашем участке. Особенно тщательно ухаживайте за ними в первые годы после посадки. Уделите внимание поливу, внесению удобрений, обрезке, защите от грибковых болезней, которым подвержен столовый сорт.
Подкормка
Для получения обильного и качественного урожая не пренебрегайте применением питательных составов. Отдайте предпочтение органике. Вносите её, начиная со второго года жизни растения. Ежегодно осенью подкармливайте садовую культуру такими натуральными удобрениями:
- перегноем (норма — 6-8 кг/кв. м);
- древесной золой (расходуйте 100 г сухого вещества на 1 кв. м виноградной посадки).
Питательные составы равномерно разбросайте под кустами, а затем заделайте их в почву.
Полив
Сортовая разновидность культуры требует регулярного орошения, проводимого не более 4 раз в течение вегетативного сезона по такой схеме:
- первый раз полейте насаждения ранней весной (начало сокодвижения);
- второй — за 7 суток до цветения;
- третий — спустя 1 неделю после отцветания лозы;
- четвёртый — в пору созревания ягод.
Прополка, рыхление
Ухода требует и приствольная зона виноградника. От него зависит крепкое здоровье и урожайность культуры. Он включает в себя следующие процедуры:
- удаление сорняков, отбирающих у лозы питание и воду, являющихся благоприятной средой обитания вредителей и патогенных микроорганизмов;
- рыхление (приём повышает воздухо- и водопроницаемость почвы).
Для экономии сил и времени совмещайте прополку и вспушивание грунта. Осуществляйте обе уходовые манипуляции аккуратно. Обрабатывайте землю на глубину до 10 см. Не допускайте повреждения корней винограда.
Обрезка
Основная задача виноградаря на первом году после посадки наметить траекторию роста культуры посредством проведения этой процедуры. Для формирования 2 сильных побегов обрежьте саженец до 2 глазков. Всё остальное удалите.
Ежегодно в весенний период проводите санитарную процедуру, а осенью — нормировку лозы (удаление лишних побегов, обеспечивающее оптимальную нагрузку на куст и повышающее его урожайность).
Подготовка к зиме
Родина не отличается хорошей холодостойкостью. Растение этого сорта выдерживает снижение температуры воздуха до -15-18°С. Возделывая его в условиях умеренного климата, позаботьтесь о полноценной защите от морозов. Используйте для утепления землю, плёнку, рубероид.
Проводите подготовку к зиме:
- перед приходом заморозков кусты удобряйте;
- осуществляйте обрезку повреждённых веток;
- пригибайте лозу (для этого снимите её с опоры, свяжите, уложите на землю и зафиксируйте в таком положении);
- утепляйте культуру.
Болезни и вредители
Столовый сорт не может похвалиться крепким иммунитетом. Его насаждения подвержены атакам ос, поражению грибковыми инфекциями:
- настоящей и ложной мучнистой росой (оидиумом, милдью);
- антракнозом;
- серой гнилью.
От грибков страдают зелёные части лозы (усы, листва), соцветия, плоды и побеги-однолетки. Предупредить проблему помогают превентивные обработки медным купоросом, фунгицидами.
От вредителей, атакующих садовую культуру, применяйте народные средства и препараты с инсектицидными свойствами.
Уделите особое внимание профилактике заболеваемости виноградника и порчи паразитами. В её рамках проводите следующие мероприятия:
- обеспечение хорошей продуваемости и вентиляции кустов (в условиях загущенной посадки развивается сырость, благоприятная для грибков);
- своевременное удаление сорняков, в которых размножаются вредители и возбудители инфекций;
- обрезка сломанных, больных, пострадавших от паразитов побегов;
- уборка опавшей листвы и растительных остатков, проводимая осенью;
- отказ от применения богатых азотом составов, способствующих разрастанию и загущению лоз;
- удаление листвы, растущей в нижней части куста (под гроздьями).
Если уберечь виноградник от грибкового поражения не удалось, применяйте для его лечения препараты Ронилан, Роврал. Особенно они эффективны в борьбе с серой гнилью. Опрыскивайте посадку каждые 14 дней. Проводите обработки до августа.
Положительные и отрицательные стороны
Виноград Родина имеет свои сильные и слабые стороны. К его неоспоримым достоинствам дачники причисляют:
Недостатков у столового сорта, выведенного отечественными учёными, тоже хватает:
Похожие сорта
У столового среднеспелого винограда Родина есть немало аналогов среди других сортов, которые можно найти в продаже на отечественном рынке:
- Эверест. Относится к гибридам раннего срока созревания. Даёт крупные грозди с ягодами тёмного красно-фиолетового цвета, вкусными и сочными. Имеет столовое назначение. Кустам присуща большая сила роста. Они требуют укрытия на зиму.
- Нина. Среднеспелый гибрид любительской селекции. Даёт средние по размеру грозди с крупными виноградинами тёмно-красного цвета, обладающими гармоничным вкусом. Кусты характеризуются большой силой роста и высокой урожайностью. Выдерживают морозы до -22°С. Невосприимчивы к милдью, но поражается оидиумом.
- Таёжный. Этот урожайный ранний сорт отличается сильнорослыми кустами с женским типом цветения. Грозди — средние по величине. Ягоды — тёмно-синие, весом до 3,5 г, приятного вкуса. Вид устойчив к основным инфекциям культуры.
- Адмирал. Ранний сорт винограда. Даёт грозди весом 600-1100 г. Ягоды — тёмно-синие, крупные, с гармоничным вкусом. Морозостойкость растения — до -23°C. Кусты сильнорослые.
Все описанные выше сорта имеют столовое назначение. Их объединяет тёмная окраска ягод и их хороший вкус, приспособленность к возделыванию в условиях умеренного климата.
Отзывы
Родина — популярный у отечественных виноградарей столовый сорт. Его любят за обильную плодоотдачу, красивый вид и хороший вкус ягод. Урожай долго не хранится, плохо переносит перевозку на дальние расстояния. Он идеально подходит для переработки в сок, консервирования, сушки. Пригоден для употребления в пищу в свежем виде. Приносит пользу здоровью едока.



















































