Виноград «Гранатовый» — технический сорт с темно-синими ягодами, созданный для производства качественных вин. Его отличает гармоничный вкус, хорошая урожайность и относительная устойчивость к болезням. Узнайте о всех нюансах выращивания этого среднепозднего сорта в нашем подробном обзоре.
История выведения
Данный технический сорт — плод целенаправленной научной работы, а не случайная находка. Он был создан в Северо-Кавказском федеральном научном центре садоводства, виноградарства, виноделия селекционерами Л. Т. Кохановой и Т. П. Зинченко. Основной задачей авторов было получение сорта, оптимально приспособленного для промышленного виноделия в условиях Северного Кавказа.
Селекционная программа ставила целью совместить в одном генотипе несколько ключевых для технического винограда признаков: высокие технологические качества сусла, стабильную урожайность на уровне 120-140 ц/га, а также повышенную устойчивость к неблагоприятным факторам. Результатом стал сорт со среднепоздним сроком созревания (152-160 дней), что требует продолжительного теплого периода, и морозостойкостью до -22°C.
Точное происхождение, то есть «родительская пара» сорта, в открытых источниках не раскрывается, что является обычной практикой для многих современных селекционных достижений. Однако по комплексу морфологических и хозяйственных признаков — темно-синяя ягода с восковым налетом, плотная гроздь, гармоничный вкус и относительная устойчивость к грибковым болезням — он вписывается в классическую линейку технических сортов, созданных для производства качественных столовых и крепленых вин.
Официальное районирование и успешное внедрение в хозяйствах подтвердили, что сорт полностью оправдал ожидания селекционеров, став надежным выбором для виноделов в регионах с подходящим климатом.
Особенности сорта
Главная особенность винограда Гранатовый — его узкая специализация. Это технический сорт, и это определяет все: от агротехники до конечного использования урожая. В отличие от столовых сортов, здесь ценятся не размер ягоды или грозди, а высокое содержание сока, гармоничный баланс сахаров и кислот, а также насыщенная окраска, что критически важно для производства качественных вин, в частности, насыщенных красных.
Сроки созревания и география
Срок созревания в 152-160 дней относит его к среднепоздней группе, что накладывает ключевые ограничения по географии выращивания. Для полного раскрытия потенциала сорту требуется продолжительный теплый период. В регионах с коротким и прохладным летом (например, Средняя полоса, Северо-Запад) он с высокой вероятностью не успеет набрать полную технологическую зрелость, что негативно скажется на сахаристости и органолептике будущего вина.
Оптимальными для возделывания являются традиционные винодельческие регионы с суммой активных температур не менее 2800-3000°C. Среднерослая сила роста куста облегчает формировку и укрытие на зиму по сравнению с сильнорослыми гигантами, что является практическим преимуществом в зонах укрывного виноградарства.
Агротехнические нюансы
Как технический сорт, он предъявляет специфические требования к нагрузке. Перегруз куста урожаем, характерный для данного сорта из-за его хорошей урожайности (120-140 ц/га), ведет к задержке созревания, снижению сахаронакопления и ухудшению качества виноматериала. Поэтому нормировка соцветиями и гроздями — не рекомендация, а обязательный агроприем.
Относительная устойчивость к грибковым болезням, указанная в характеристиках, требует расшифровки. Это означает, что сорт не обладает иммунитетом и в условиях эпифитотий (массового распространения болезни) или в сырые, дождливые годы потребует стандартных защитных обработок фунгицидами. Особое внимание следует уделять профилактике милдью и оидиума.
Органолептические и технологические свойства
Темно-синий цвет ягод с густым восковым налетом (пруином) и прочная кожица средней толщины обеспечивают интенсивную окраску сусла, что высоко ценится в виноделии. Расплывающаяся, сочная мякоть указывает на хорошую отдачу сока. Гармоничный и полный вкус в сочетании с плотными гроздями делает урожай отличным сырьем для производства структурных, насыщенных красных вин, а также может использоваться для купажирования (смешивания) с менее окрашенными сортами.
Таким образом, ключевые особенности сорта — это строгая привязка к теплым регионам, обязательная нормировка урожая, необходимость стандартной химической защиты и укрытия на зиму, а также высокий потенциал для получения качественного виноматериала при соблюдении этих условий.
Как выглядит куст
Растение характеризуется средней силой роста, что определяет его габитус и подход к формированию. За вегетационный сезон лоза демонстрирует стабильный, но не буйный прирост, что является преимуществом для контроля и управления кроной. При адекватной нагрузке урожаем побеги успевают полноценно одревеснеть по всей длине, что критически важно для успешной перезимовки.
Архитектура и побегообразование
Тип роста куста позволяет успешно применять различные системы ведения: от многорукавных веерных формировок до горизонтальных кордонов. Архитектура не имеет выраженных особенностей и соответствует классическим представлениям о виноградном растении. Однако ключевой нюанс, требующий внимания, — высокая плодоносность глазков.
Это означает, что из большинства почек развиваются плодоносные побеги. С одной стороны, это гарантирует стабильный урожай, с другой — создает высокий риск перегруза. Без нормировки куст завяжет больше гроздей, чем способен «прокормить».
Внешние характеристики лозы и листвы
Вызревший однолетний прирост приобретает насыщенный коричневый цвет с более светлыми узлами. Листовая пластина среднего размера, округлой формы, с тремя или пятью лопастями и умеренной степенью рассеченности. Окраска листьев типично зеленая, без выраженных сортовых особенностей.
Такой тип листвы обеспечивает хорошее фотосинтетическое activity, но в условиях влажного лета может потребовать дополнительных мер для улучшения проветривания внутри куста. Прочная, хорошо вызревающая лоза удобна для подвязки к шпалере и укладки на зимнее укрытие.
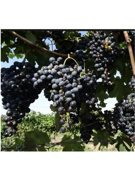
Внешний вид ягод
Для технического сорта эстетика плодов вторична по отношению к их технологическим свойствам. Однако внешние характеристики напрямую связаны с особенностями переработки и устойчивостью в поле. Ягоды этого сорта имеют округлую форму и классический для винодельческих гибридов средний размер.
Цвет и защитный налет
Основной тон кожицы — насыщенный темно-синий. При полном созревании на солнце ягоды могут казаться почти черными. Отличительная черта — очень густой слой природного воскового налета (пруина). Он хорошо заметен и придает гроздям характерный сизый, матовый оттенок.
Этот налет выполняет важную барьерную функцию. Он частично защищает ягоду от испарения влаги, механических повреждений и проникновения некоторых возбудителей болезней. Из-за его обилия ягоды после дождя или росы долго сохраняют капли воды.
Структура кожицы и мякоти
Кожица обладает средней толщиной, но при этом отличается хорошей прочностью и эластичностью. Такое строение является компромиссом: кожица достаточно плотная, чтобы выдерживать транспортировку и механический сбор, но не настолько толстая, чтобы негативно влиять на процесс отдачи сока при давлении.
Мякоть сочная, нежная, с расплывающейся консистенцией. При раздавливании ягода легко дает сок, что является ключевым требованием для винных сортов. Вкус гармоничный и полный, без выделяющихся травянистых или резких тонов, что указывает на хорошую фенольную зрелость, достигаемую к моменту сбора.
Характеристики грозди
Грозди имеют цилиндрическую или цилиндро-коническую форму, их плотность варьируется от средней до высокой. Средняя масса составляет около 200 граммов. Плотное расположение ягод в грозди является как преимуществом, так и фактором риска.
С одной стороны, это повышает выход продукции с единицы площади. С другой — в условиях повышенной влажности и плохой проветриваемости куста внутри плотной грозди может создаваться благоприятный микроклимат для развития гнилей.
Внешний вид гроздей «рабочий», без вычурности столовых сортов, что полностью соответствует техническому назначению. Внутри ягод присутствуют косточки, обычно 2-3 штуки, что является нормой и не считается недостатком для дальнейшей переработки на сок или виноматериал.
Морозостойкость и укрытие
Показатель морозостойкости в -22°C, заявленный для данного сорта, требует внимательной интерпретации. Эта цифра характеризует критическую температуру, которую могут выдержать спящие центральные почки (глазки) на хорошо вызревшей лозе. Однако реальная зимостойкость куста всегда ниже из-за риска повреждения корневой системы, особенно у молодых растений или на легких песчаных почвах.
Поэтому сорт классифицируется как укрывной для абсолютного большинства регионов возделывания. Даже в традиционных виноградарских областях, таких как Краснодарский край, где нередки зимние похолодания ниже -20°C, оставлять лозу без защиты нельзя.
Региональные особенности укрытия
Степень и метод укрытия напрямую зависят от климатических условий местности. В южных регионах с мягкими зимами часто достаточно легкого воздушно-сухого укрытия. В зонах с более суровым климатом (например, Центральное Черноземье) требуется многослойная защита.
Ключевой фактор — не только средние температуры, но и наличие снежного покрова, который служит естественным утеплителем. В бесснежные зимы риск вымерзания резко возрастает даже при температурах, близких к заявленному порогу.
Практика укрытия кустов
Подготовку начинают после осенней обрезки и влагозарядного полива. Обрезанные лозы аккуратно снимают со шпалеры, связывают в фашины (пучки) и пригибают к земле. Для фиксации используют металлические или пластиковые скобы. Под лозы желательно подложить сухой материал (доски, лапник, пенопласт), чтобы они не лежали на сырой земле.
Основное укрытие должно обеспечивать сухость и вентиляцию. Классическая схема: первый слой — нетканый агротекстиль (спанбонд, лутрасил) плотностью 60 г/м² и выше, второй слой — влагоизоляция (полиэтиленовая пленка, рубероид). Края присыпают землей. Альтернативой служит укрытие деревянными щитами с последующей засыпкой слоем земли или органики (солома, опавшие листья) толщиной 15-20 см.
Грибковые болезни и защита
Оценка сорта как «относительно устойчивого» к грибковым заболеваниям требует грамотной интерпретации. Это означает, что данный виноград обладает определенной толерантностью, но не обладает полным иммунитетом, характерным для современных комплексно-устойчивых гибридов. В благоприятные для патогенов сезоны (прохладная и дождливая погода) риск поражения возрастает, и пренебрегать защитными мерами нельзя.
Специфика уязвимости сорта
Исходя из характеристик сорта, можно выделить несколько ключевых факторов риска. Среднепоздний срок созревания (152-160 дней) увеличивает вероятность поражения ягод в период их налива и созревания, который часто совпадает с осенними дождями и росами. Плотная или средней плотности структура грозди создает благоприятный микроклимат для развития серой гнили (Botrytis cinerea), особенно в условиях высокой влажности.
Поэтому защитная стратегия для этого сорта должна быть упреждающей, с акцентом на профилактику и создание неблагоприятных условий для болезней в зоне расположения урожая.
Практическая система защиты
Защитные мероприятия строятся на трех китах: профилактических обработках, агротехнических приемах и грамотном выборе препаратов. Первое профилактическое опрыскивание фунгицидом (средством против грибковых болезней) проводят незадолго до цветения, защищая молодые листья и соцветия. Вторую, очень важную обработку выполняют после цветения, когда завязи достигнут размера мелкой горошины.
Для сорта Гранатовый критически важен контроль серой гнили в период созревания. Помимо химических мер, эффективны следующие агроприемы:
- Обязательное прореживание листьев вокруг гроздей (чеканка) для улучшения циркуляции воздуха и быстрого просыхания после осадков.
- Нормирование урожая, предотвращающее перегрузку куста и ослабление его естественной резистентности.
- Своевременное удаление сорняков и растительных остатков в прикорневой зоне, которые являются резерваторами инфекции.
Выбор и применение препаратов
Для защиты рекомендуется использовать как контактные, так и системные фунгициды, строго следуя инструкциям на упаковке. Контактные препараты (на основе меди, манкоцеба) создают защитный барьер на поверхности растения. Системные (например, на основе ципродинила, флудиоксонила, дифеноконазола) проникают в ткани и оказывают лечебное и длительное защитное действие.
Чтобы избежать возникновения резистентности (устойчивости) у патогенов, препараты с разными механизмами действия необходимо чередовать. Например, одну обработку провести медьсодержащим препаратом, следующую — системным из другой химической группы.
Здоровье куста напрямую зависит от соблюдения всей агротехники. Сильное, хорошо проветриваемое растение, получающее сбалансированное питание и не перегруженное урожаем, способно гораздо успешнее противостоять грибковой инфекции даже при относительной устойчивости сорта.
Посадка
Успешное возделывание этого технического сорта начинается с грамотной посадки. Ключевые особенности — среднепоздний срок созревания и среднерослость куста — диктуют специфические требования к выбору места и схеме размещения.
Критерии выбора участка
Главный приоритет — максимальная инсоляция. Даже незначительное затенение в течение дня критично задерживает накопление сахаров и фенольных соединений в ягодах, что для технического сорта недопустимо. Идеальным считается южный или юго-западный склон с уклоном 5-10 градусов.
Обязательно нужна защита от господствующих северных и северо-восточных ветров. Для этого подойдет стена капитального строения, глухой забор или живая изгородь из высоких кустарников, высаженная на расстоянии не менее 3-4 метров от ряда винограда. Следует избегать микрозападин и замкнутых котловин, где весной позже сходят заморозки, а осенью раньше скапливается холодный воздух.
Сроки и подготовка посадочной ямы
В регионах с мягкими зимами (Кубань, Крым, Ставрополье) предпочтительна осенняя посадка в октябре-ноябре. Саженец успевает укорениться до морозов, а весной рано трогается в рост. В зонах с морозами ниже -22 °C, где сорт требует укрытия, надежнее сажать весной, в апреле-мае, после прогрева почвы до +10 °C.
Подготовка ямы — фундаментальный этап. Размеры 80×80×80 см необходимы для создания глубокого, хорошо аэрируемого корнеобитаемого слоя. На дно укладывают дренаж слоем 10-15 см (щебень, гравий). Далее готовят питательную смесь из верхнего плодородного слоя земли, 2-3 ведер полностью перепревшего навоза или компоста, 500 г суперфосфата и 300 г сернокислого калия (или 1-1,5 кг древесной золы). Удобрения тщательно перемешивают с землей, чтобы избежать ожога корней.
Технология посадки и схема размещения
На дно ямы насыпают часть подготовленной смеси, формируя холмик. Саженец устанавливают на его вершину, аккуратно расправляя корни по склонам. Корневую пятку (место отхождения основных корней) заглубляют на 45-50 см от уровня земли. Это защитит основную массу корней от вымерзания в бесснежные зимы.
Яму засыпают оставшимся грунтом, слегка уплотняя его для устранения воздушных пустот. Сразу формируют приствольный круг и проводят обильный полив 2-3 ведрами воды. После впитывания влаги почву мульчируют соломой, скошенной травой или опилками слоем 5-8 см.
Учитывая среднюю силу роста куста, оптимальное расстояние между растениями в ряду составляет 1,5-1,8 метра. Междурядья оставляют шириной 2-2,5 метра. Такая схема обеспечивает хорошую проветриваемость, доступ света к каждой грозди и удобство для проведения укрывных работ на зиму.
Полив и подкормки
Для технических сортов, к которым относится Гранатовый, стратегия полива и питания направлена не на максимальный размер грозди, а на качество урожая. Ключевая задача — добиться высокой концентрации вкусовых и ароматических веществ в ягодах, что напрямую зависит от умеренного, но точного водного и питательного режима.
Особенности поливного режима
Среднерослые кусты этого сорта обладают развитой корневой системой, способной добывать влагу из глубины. Однако в определенные фазы развития полив критически важен. Основной акцент делается на три ключевых периода.
Влагозарядный полив осенью. Проводится после обрезки, но до укрытия на зиму. Его цель — глубоко пропитать корнеобитаемый слой почвы. Хорошо заряженный влагой куст лучше переносит зимние морозы, указанные в характеристиках как -22°C, и весенние засухи.
Полив в фазе активного роста ягод. Наиболее важный полив приходится на период сразу после цветения, когда завязи начинают быстро увеличиваться в размерах. Недостаток влаги в это время может привести к измельчанию ягод и снижению общего урожая.
Весенний влагозарядный полив. Он необходим только в случае малоснежной зимы и сухой весны, проводится до распускания почек для пробуждения корневой системы.
Схема питания куста
Подкормки должны поддерживать здоровый рост и качественное плодоношение, не стимулируя избыточную вегетацию. Основное питание, как правило, закладывается при посадке. Дополнительные подкормки вносят по следующей схеме, ориентированной на фазы развития.
| Срок внесения (фаза развития) | Рекомендуемое удобрение (примерная доза на взрослый куст) | Цель и ожидаемый эффект |
|---|---|---|
| Ранняя весна, до распускания почек | Аммиачная селитра или мочевина (30-40 г) | Стимуляция роста молодых побегов и листового аппарата после зимнего покоя. |
| За 7-14 дней до начала цветения | Комплексное минеральное удобрение (например, Нитроаммофоска, 50-60 г) | Поддержка энергозатратного процесса цветения и улучшение завязываемости ягод. |
| Начало созревания (фаза размягчения и окрашивания ягод) | Калийные удобрения: сульфат калия (30-40 г) или зольный настой (1-2 л золы на 10 л воды) | Ускорение налива сахаров в ягодах, улучшение вкуса и активное вызревание однолетней лозы, что критично для зимовки. |
| Поздняя осень, раз в 2-3 года | Органические удобрения: перегной или хорошо перепревший компост (8-10 кг под куст) | Восстановление почвенного плодородия, улучшение структуры и влагоемкости грунта. |
Особое внимание стоит уделить балансу элементов. Избыток азотных удобрений во второй половине лета крайне нежелателен. Он провоцирует буйный рост побегов в ущерб созреванию урожая и древесины, делает куст более уязвимым к грибковым болезням, к которым сорт имеет относительную устойчивость. Фосфорно-калийные подкормки, наоборот, повышают иммунитет растения и качество будущего виноматериала.
Все подкормки, особенно сухие минеральные, эффективны только при достаточной влажности почвы. Их вносят в зону залегания активных корней, в предварительно пролитые канавки или лунки, с последующей заделкой и поливом.
Обрезка и уход за кустом
Для технического сорта с высокой плодоносностью побегов обрезка — главный инструмент управления урожаем и качеством. Основная обрезка проводится осенью, после листопада, перед укрытием. Весной лишь уточняют нагрузку, удаляя подмерзшие или поврежденные побеги.
Специфика обрезки и нагрузки
Сорт хорошо плодоносит на побегах, выросших из почек на однолетней лозе. Рекомендуется средняя или короткая обрезка на 4-6 глазков. Общая нагрузка на взрослый среднерослый куст должна составлять 30-35 глазков. Это означает, что если оставляете 6-7 плодовых стрелок, обрезанных на 5 глазков, вы получите как раз такую нагрузку.
Средняя сила роста куста требует постоянного контроля за балансом между вегетативной массой и количеством плодовых почек. Перегрузка приведет к невызреванию лозы и ухудшению морозостойкости, а недогрузка — к чрезмерному росту побегов в ущерб урожаю.
Нормировка урожая и зеленые операции
Нормировка урожая — обязательный прием. На одном плодоносном побеге оставляют одну, максимум две грозди. Если оставить больше, ягоды будут мельчать, сахаристость упадет, а лоза не успеет полноценно одревеснеть к зиме.
Также необходимо регулярно удалять пасынки (боковые побеги в пазухах листьев), чтобы они не загущали куст и не отнимали питание. В августе, когда рост замедляется, проводят чеканку — прищипывание верхушек побегов. Это останавливает их рост и перенаправляет силы растения на созревание ягод и древесины, что критически важно для успешной зимовки.
Все зеленые операции (обломка, пасынкование, чеканка) должны выполняться своевременно. Это обеспечивает хорошую проветриваемость куста, что является важной частью профилактики грибковых заболеваний для относительно устойчивого сорта.
Как и когда собирать
Для технических сортов, к которым относится Гранатовый, сбор урожая — это не просто снятие гроздей, а ключевой технологический этап, определяющий качество будущего вина. Основная задача — дождаться не съемной, а полной технологической зрелости, когда в ягодах установится оптимальный баланс сахаров и кислот.
Определение оптимальных сроков сбора
Срок созревания в 152-160 дней от распускания почек — это важный ориентир, но из-за изменчивости погоды полагаться только на календарь нельзя. Визуальным признаком зрелости служит равномерная темно-синяя окраска всех ягод в грозди с густым восковым налетом (пруином).
Главный критерий — органолептическая оценка. Вкус ягоды должен быть полным и гармоничным, без признаков травянистости или излишней терпкости. Мякоть становится сочной и легко отделяется от кожицы средней толщины.
Для объективной оценки используют портативный ареометр (сахаромер). Для красных технических сортов, к которым принадлежит Гранатовый, оптимальный показатель сахаристости сока обычно находится в диапазоне 19-22% (или 190-220 г/дм³). Измерения стоит проводить выборочно в разных частях виноградника, так как созревание может быть неравномерным.
Правила и технология сбора урожая
Уборку планируют на сухую погоду. Если прошел дождь или выпала роса, сбор откладывают на 1-2 дня, чтобы грозди полностью обсохли. Избыточная влага на ягодах разбавляет сок, снижая его сахаристость, и может спровоцировать развитие гнилей во время транспортировки.
Для сбора используют острый секатор, срезая гребненожку (часть грозди, которой она крепится к лозе). Важно минимизировать механические повреждения ягод. Раздавленная мякоть запускает спонтанное (дикое) брожение и окисление, что ухудшает контроль над последующим технологическим процессом на винодельне.
Собранные грозди аккуратно укладывают в тару. Подходят неглубокие пластиковые или деревянные ящики (емкостью 10-12 кг), которые обеспечивают вентиляцию и предотвращают сдавливание нижних слоев. Нельзя использовать мешки или ведра, где ягоды мнутся под собственным весом.
После сбора урожай необходимо как можно быстрее доставить на место переработки. Длительное хранение или транспортировка под солнцем в закрытой таре приводит к потере ароматики и началу нежелательных биохимических процессов.
Лёжкость и условия хранения
Сорт относится к техническим, что определяет его основные потребительские свойства. В отличие от столовых разновидностей, селекционированных для продолжительной лёжки, его ягоды после созревания быстро теряют товарный вид. Это связано с их биохимическим составом, ориентированным на высокое содержание сока и экстрактивных веществ, а не на плотность мякоти и прочность кожицы.
После сбора грозди могут сохраняться в свежем виде ограниченное время. Оптимальный режим — это темное, хорошо проветриваемое помещение с температурой +2°C — +5°C и влажностью воздуха около 80-85%. В таких условиях урожай может пролежать без критической потери качества 7-10 дней.
Факторы, ограничивающие хранение
На практике срок часто оказывается меньше максимального. На это влияют две ключевые особенности, указанные в характеристиках сорта. Первая — расплывающаяся, очень сочная мякоть. При малейшей потере тургора ягоды начинают подвяливаться и течь.
Вторая — плотное или средней плотности строение грозди. В такой кисти затруднена циркуляция воздуха, а случайно поврежденная или начавшая портиться ягода быстро заражает соседние. Поэтому перед закладкой на даже кратковременное хранение необходим тщательный отбор. Грозди с признаками гнили, механическими повреждениями или мокрыми от сока ягодами нужно сразу отбраковывать для переработки.
Рекомендации по переработке и сохранению
Исходя из этих свойств, планировать работу с урожаем нужно сразу после сбора. Наилучший способ использования — оперативная переработка путем давки или отжима для последующего виноделия. Если немедленная переработка невозможна, допустимо кратковременное охлаждение.
Для домашних нужд, не связанных с виноделием, ягоды можно заморозить. Однако стоит учитывать, что после разморозки структура мякоти полностью меняется, она становится водянистой. Такой продукт подойдет для приготовления компотов, соусов или выпечки, но не для получения сока с типичными для сорта вкусовыми характеристиками.
Таким образом, главное правило работы с этим виноградом — минимизация времени между сбором и началом переработки. Это позволяет сохранить максимальную сахаристость, кислотность и типичный гармоничный вкус, которые заложены в ягодах на момент их полной зрелости.
Назначение и вкусовые качества
Сорт относится к технической группе, что определяет его главную цель — переработку. Его основная ценность заключается не в потреблении в свежем виде, а в качестве сырья для производства алкогольных и безалкогольных напитков.
Винодельческий потенциал
Гранатовый является классическим виноматериалом. Полный и гармоничный вкус ягод, указанный в характеристиках, формирует основу для сбалансированных вин. Отсутствие резко выраженных фруктовых или цветочных ароматов в сырье считается преимуществом, так как такие вина лучше раскрываются в процессе выдержки, приобретая сложные оттенки от дубовой бочки.
Из темно-синих ягод с прочной кожицей и сочной мякотью получают интенсивно окрашенные соки и виноматериалы. Сорт хорошо подходит для производства сухих, полусухих и креплёных красных вин. Также его часто используют для купажирования, чтобы придать купажу более глубокий цвет и структуру.
Особенности потребления в свежем виде
Ягоды съедобны, но их вкусовые качества в свежем виде оцениваются иначе, чем у столовых сортов. Округлые ягоды среднего размера с косточками и расплывающейся, а не хрустящей мякотью не предназначены для рыночной продажи или десертного потребления.
Их главная ценность — это сок. Именно насыщенный вкус и цвет сока, который хорошо отделяется от мякоти, делает этот сорт выдающимся для переработки. Для домашнего использования ягоды можно направлять на приготовление сока, компота, желе или виноградного уксуса, где важны насыщенность и терпкость.
Таким образом, при выборе этого сорта стоит чётко понимать его ампелографическую роль: он создан для винодела, а не для любителя свежего винограда. Его урожайность и устойчивость оправданы только при условии последующей качественной переработки урожая.









