Гибискус – красиво цветущее растение, украшающее как домашние интерьеры, так и садовые участки. Однако для сохранения его декоративности и здоровья важно своевременно распознавать признаки заболеваний и вредителей. Ослабленное растение не только теряет привлекательность, но и становится уязвимым к инфекциям и паразитам.
Важность диагностики и защиты гибискуса от вредителей и заболеваний
Своевременная диагностика и защита культуры от болезней и паразитов имеют решающее значение для поддержания здоровья растения и его декоративной привлекательности. Основные особенности:
- На ранних стадиях поражения многие проблемы можно устранить быстро и без серьёзных последствий, тогда как запущенные случаи нередко приводят к ослаблению куста, остановке цветения и даже гибели.
- Гибискус может пострадать как от неблагоприятных условий (переувлажнение, сквозняки, нехватка света), так и от внешних факторов – грибков, бактерий, насекомых. Часто симптомы различных поражений схожи между собой, поэтому важно научиться правильно их распознавать. Точные признаки – залог верного выбора метода лечения.
Регулярный осмотр листьев, побегов и почвы позволяет вовремя заметить первые отклонения от нормы и принять профилактические меры:
- откорректировать полив;
- улучшить вентиляцию;
- провести обработку фунгицидами или инсектицидами.
Описание основных болезней гибискуса
Культура, несмотря на хорошую устойчивость, подвержена ряду заболеваний, особенно при нарушении условий выращивания. Переувлажнение почвы, недостаток света или плохая вентиляция могут ослабить растение и сделать его уязвимым к грибковым, бактериальным и вирусным инфекциям.
Грибковые
Грибковые болезни представляют серьёзную угрозу для гибискуса, приводя к ослаблению растения, ухудшению внешнего вида и даже гибели. Ранняя диагностика и своевременное лечение критически важны для сохранения здоровья цветка.
Причины возникновения
Часто культура страдает из-за высокой влажности – чрезмерный полив, недостаточная циркуляция воздуха и высокая влажность окружающей среды создают благоприятные условия для развития грибков.
Другие причины поражения:
- Заражённая почва. Использование неподходящего грунта или нестерилизованного садового инвентаря может привести к заражению.
- Повреждения растения. Механические дефекты, нанесённые вредителями или неправильным уходом, открывают путь для проникновения грибковой инфекции.
- Ослабленный иммунитет. Недостаток питательных веществ, неправильный полив или перепады температуры делают растение слабым, из-за чего оно становится более уязвимым для болезней.
Симптомы
Проявления грибковых заболеваний могут варьироваться в зависимости от типа грибка. Но наиболее распространённые признаки включают:
- различные по форме и цвету пятна на листьях (коричневые, жёлтые, чёрные);
- размягчение и почернение стеблей и корней;
- наличие белого или серого налёта;
- преждевременное увядание и опадание листьев;
- замедление или остановка роста растения.
Методы лечения и профилактика
Лечение грибковых заболеваний гибискуса включает несколько шагов. Выполните следующие рекомендации:
- Удалите и уничтожьте поражённые листья, стебли и цветки.
- Обработайте культуру фунгицидами, предназначенными для борьбы с конкретным типом грибка. Наиболее эффективными препаратами являются Топаз, Скор, Фундазол.
- Обеспечьте хорошую циркуляцию воздуха, умеренный полив и достаточное освещение.
Профилактические меры:
- при пересадке гибискуса используйте стерилизованную почву;
- избегайте переувлажнения грунта;
- разместите растение в месте с хорошей циркуляцией воздуха;
- регулярно осматривайте растение на предмет признаков заболеваний;
Бактериальные инфекции
Бактериальные инфекции представляют собой серьёзную угрозу для гибискуса – они способны быстро распространяться и наносить значительный ущерб растению. Раннее обнаружение и адекватное лечение критически важны для сохранения здоровья культуры.
Как распознать и откуда появляются?
Бактериальные инфекции у гибискуса часто проявляются в виде водянистых пятен на листьях, которые быстро темнеют и распространяются. Могут наблюдаться потемнение и гниение стеблей, а также увядание и опадание листьев. Характерным признаком является и слизистый экссудат на поражённых участках растения.
Появляются бактериальные инфекции, как правило, из-за:
- повреждений растения (например, при обрезке или пересадке);
- заражённой почвы или инструментов;
- чрезмерной влажности и плохой циркуляции воздуха;
- распространения через насекомых-вредителей.
Что делать при обнаружении симптомов?
При обнаружении признаков бактериальной инфекции необходимо изолировать заражённое растение, чтобы предотвратить распространение болезни на другие экземпляры. Выполните и другие действия:
- Удалите все поражённые части растения (листья, стебли).
- Обработайте цветок бактерицидными препаратами, предназначенными для лечения бактериальных инфекций. Наиболее эффективные средства: медный купорос, ХОМ, Оксихом, бордоская смесь.
- Обеспечьте хорошую циркуляцию воздуха и уменьшите влажность вокруг растения.
- При необходимости замените почву чистым грунтом.
Регулярный осмотр растений, поддержание оптимальных условий содержания и использование стерильного инструментария помогут предотвратить возникновение бактериальных инфекций у гибискуса.
Вирусные заболевания
Такие болезни представляют серьёзную угрозу, поскольку не поддаются прямому лечению. Вирусы внедряются в клетки растения, нарушая их функционирование и приводя к различным деформациям. Основной ущерб заключается в снижении декоративности и замедлении роста.
Характеристика проявления вирусных инфекций
Проявления вирусных инфекций у гибискуса разнообразны. Часто наблюдается мозаичная окраска листьев – чередование зелёных и жёлтых участков.
Другие симптомы:
- Листья могут деформироваться, скручиваться или покрываться кольцевыми пятнами.
- Замедляется рост побегов, снижается интенсивность цветения, цветки могут быть мельче и деформированными.
- Иногда наблюдается изменение окраски цветков, появление нехарактерных полос или пятен.
Эффективные способы предотвращения распространения вирусов
Вылечить вирусное заболевание гибискуса невозможно, поэтому основное внимание уделяется предотвращению распространения вирусов. Придерживайтесь требований:
- Изолируйте растение с признаками вирусной инфекции от здоровых экземпляров.
- Тщательно дезинфицируйте все инструменты (секаторы, ножи) после контакта с заражённым растением.
- Вирусы часто распространяются через насекомых-вредителей, таких как тля и трипсы. Необходимо своевременно бороться с этими переносчиками.
- Приобретайте посадочный материал только у проверенных поставщиков, чтобы избежать заражения вирусами с самого начала.
- В случае сильного поражения, когда растение теряет декоративность и жизнеспособность, рекомендуется его уничтожить, чтобы предотвратить дальнейшее распространение вируса.
Наиболее распространённые вредители гибискуса
При выращивании растения в домашних или тепличных условиях оно может подвергаться нападению различных паразитов. Насекомые питаются соком листьев и побегов, ослабляют растение, замедляют его рост и нередко становятся причиной заболеваний. Но есть эффективные способы борьбы с ними.
Паутинные клещи
Микроскопические вредители представляют серьёзную угрозу для гибискуса, высасывая сок из листьев и приводя к ослаблению растения. Их присутствие может быстро привести к потере декоративности и, в конечном итоге, к гибели.
Признаки заражения
Первые проявления заражения паутинным клещом часто остаются незамеченными из-за крошечного размера вредителей. Внимательное наблюдение за растением позволяет выявить следующие симптомы:
- наличие мелких светлых точек на листьях, особенно с нижней стороны;
- тонкая паутина, оплетающая листья и стебли;
- пожелтение и засыхание листьев;
- замедление роста растения;
- деформация бутонов и цветков.
Способы борьбы и профилактические мероприятия
Борьба с паутинным клещом требует комплексного подхода. Соблюдайте следующие рекомендации:
- Промывайте растения под сильным напором воды – мероприятие помогает смыть клещей и паутину.
- Применяйте специальные препараты-акарициды, предназначенные для борьбы с клещами. Эффективные препараты: Аполло, Санмайт, Флумайт, Актеллик, Фитоверм. Проводите обработку несколько раз с интервалом в несколько дней, чтобы уничтожить все стадии развития вредителя.
- Паутинные клещи предпочитают сухой воздух. Регулярное опрыскивание растения и поддержание высокой влажности вокруг него затрудняет их распространение.
Регулярный осмотр растений, поддержание оптимальных условий содержания, умеренный полив и хорошее освещение способствуют укреплению иммунитета гибискуса и повышают его устойчивость к вредителям.
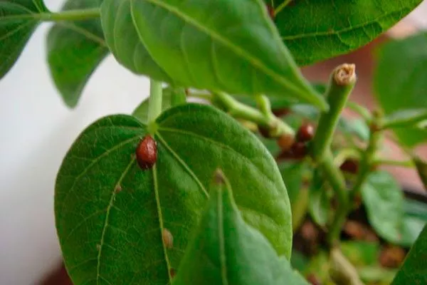
Щитовки
Одни из самых коварных вредителей комнатных растений, включая гибискус. Их опасность заключается в маскировке под небольшие наросты или бляшки, что затрудняет своевременное обнаружение. Сосущие паразиты прикрепляются к стеблям и листьям, высасывая сок и ослабляя растение.
Какие симптомы указывают на наличие щитовок?
Главным признаком является появление на листьях и стеблях мелких, выпуклых бляшек различных цветов (коричневых, серых, желтоватых). Листья могут желтеть, деформироваться и опадать.
Растение замедляет рост, прекращается цветение. Часто наблюдается липкий налёт на листьях и стеблях – он является продуктом жизнедеятельности щитовок и привлекает сажистый грибок.
Средства для избавления от этих паразитов
Борьба со щитовками – процесс трудоёмкий, требующий терпения и систематичности. Придерживайтесь рекомендаций:
- Снимайте паразитов с растения вручную, используя ватный диск, смоченный в спирте или мыльном растворе.
- Применяйте системные инсектициды, которые проникают в ткани растения и делают его ядовитым для щитовок. Важно соблюдать инструкцию и проводить обработку несколько раз с интервалом в 1-2 недели. Опытные цветоводы рекомендуют такие препараты: Актара, Конфидор Экстра, Танрек, Биотлин, Апачи.
- Эффективны опрыскивания настоем чеснока, лука или мыльным раствором. Эти средства менее токсичны, но требуют более частого применения.
Белокрылки
Мелкие насекомые, похожие на миниатюрных белых мотыльков. Они часто поражают гибискус и другие комнатные растения, высасывая сок из листьев и ослабляя их. Быстро размножаются и могут нанести значительный вред, если не принять меры.
Признаки нашествия вредителя
Основным признаком заражения белокрылкой является наличие мелких белых мотыльков, летающих вокруг растения, особенно при прикосновении к нему. На нижней стороне листьев можно обнаружить личинки вредителя, похожие на небольшие прозрачные или желтоватые чешуйки.
Народные средства и химические препараты против насекомых
Регулярное опрыскивание растения мыльным раствором (20-30 г мыла на 1 л воды) помогает смыть насекомых и личинки. Эффективны также настои чеснока или тысячелистника. Важно проводить опрыскивания регулярно, каждые 3-5 дней.
При сильном заражении применяют инсектициды:
- Актара;
- Актеллик;
- Конфидор.
Методы профилактики
Профилактика болезней и вредителей – основа здорового роста и обильного цветения гибискуса. Регулярные меры защиты позволяют предотвратить появление проблем и избежать необходимости в применении агрессивных методов лечения.
Основные меры:
- Предупреждение болезней и вредителей путём регулярного осмотра растений. Систематический осмотр – первый рубеж обороны. Внимательно осматривайте листья (особенно с нижней стороны), стебли и бутоны на предмет признаков поражения вредителями или болезнями.
Своевременное обнаружение проблемы позволяет принять меры на ранней стадии. - Использование природных средств защиты. Применение природных средств защиты – экологичный и эффективный способ профилактики. Опрыскивание настоем чеснока, лука, табачной пыли или отваром ромашки отпугивает многих вредителей.
Раствор хозяйственного мыла тоже является хорошим профилактическим средством. - Организация правильной системы полива и освещения. Оптимальные условия содержания – залог здоровья растения. Не переувлажняйте грунт – это способствует развитию грибковых заболеваний.
Обеспечьте гибискусу достаточное количество света, но избегайте прямых солнечных лучей в полуденные часы. Регулярное проветривание помещения способствует предотвращению болезней. - Обработки разными средствами. Профилактические опрыскивания специальными препаратами – важная часть комплексного подхода. Используйте фунгициды и инсектициды в соответствии с инструкцией, чередуя растворы, чтобы избежать развития устойчивости у вредителей и патогенов.
Проводите мероприятия ранней весной и осенью и при появлении первых признаков проблем.
Залог здоровья гибискуса – грамотный уход, внимательное наблюдение и своевременное реагирование на первые признаки проблем. Понимание причин болезней и распознавание появления вредителей поможет сохранить растение сильным и своевременно принять важные меры для устранения трудностей.


















